ՀԱՅԱՍՏԱՆԻ ՀԱՆՐԱՊԵՏՈՒԹՅԱՆ ԿԱՌԱՎԱՐՈՒԹՅՈՒՆ
Ո Ր Ո Շ ՈՒ Մ
2 հուլիսի 2009 թվականի N 840-Ն
2010 ԹՎԱԿԱՆԻ ՄԱՅԻՍ-ՀՈԿՏԵՄԲԵՐ ԱՄԻՍՆԵՐԻՆ ՉԻՆԱՍՏԱՆԻ ԺՈՂՈՎՐԴԱԿԱՆ ՀԱՆՐԱՊԵՏՈՒԹՅԱՆ ՇԱՆՀԱՅ ՔԱՂԱՔՈՒՄ ԿԱՅԱՆԱԼԻՔ` «ԲԱՐԵԿԵՑԻԿ ՔԱՂԱՔ, ԲԱՐԵԿԵՑԻԿ ԿՅԱՆՔ» ԽՈՐԱԳՐՈՎ «ՇԱՆՀԱՅ ԷՔՍՊՈ-2010» ՀԱՄԱՇԽԱՐՀԱՅԻՆ ՑՈՒՑԱՀԱՆԴԵՍԻՆ ՀԱՅԱՍՏԱՆԻ ՀԱՆՐԱՊԵՏՈՒԹՅԱՆ ՊԱՇՏՈՆԱԿԱՆ ՄԱՍՆԱԿՑՈՒԹՅԱՆ ՊԱՅՄԱՆԱԳՐԻ, ԻՆՉՊԵՍ ՆԱԵՎ ՀԱՅԱՍՏԱՆԻ ՀԱՆՐԱՊԵՏՈՒԹՅԱՆ ՄԱՍՆԱԿՑՈՒԹՅԱՆ ՄԻՋՈՑԱՌՈՒՄՆԵՐԸ ՆԱԽԱՊԱՏՐԱՍՏԵԼՈՒ ԵՎ ԱՆՑԿԱՑՆԵԼՈՒ ՄԱՍԻՆ
Ի կատարումն Հայաստանի Հանրապետության կառավարության 2008 թվականի օգոստոսի 21-ի N 954-Ա որոշման 3-րդ կետի և դեկտեմբերի 25-ի N 1573-Ն որոշման 15-րդ կետի 5-րդ ենթակետի, ինչպես նաև «Շանհայ Էքսպո-2010» համաշխարհային ցուցահանդեսին Հայաստանի Հանրապետության արդյունավետ մասնակցությունն ապահովելու նպատակով Հայաստանի Հանրապետության կառավարությունը որոշում է.
1. Հաստատել`
1) Չինաստանի Ժողովրդական Հանրապետության Շանհայ քաղաքում կայանալիք` «Բարեկեցիկ քաղաք, բարեկեցիկ կյանք» խորագրով «Շանհայ Էքսպո-2010» համաշխարհային ցուցահանդեսին Հայաստանի Հանրապետության մասնակցության միջոցառումների ծրագիրը՝ համաձայն N 1 հավելվածի.
2) Չինաստանի Ժողովրդական Հանրապետության Շանհայ քաղաքում կայանալիք` «Բարեկեցիկ քաղաք, բարեկեցիկ կյանք» խորագրով «Շանհայ Էքսպո-2010» համաշխարհային ցուցահանդեսին Հայաստանի Հանրապետության մասնակցության միջոցառումների ժամանակացույցը՝ համաձայն N 2 հավելվածի:
2. Հավանություն տալ Չինաստանի Ժողովրդական Հանրապետության Շանհայ քաղաքում կայանալիք` «Բարեկեցիկ քաղաք, բարեկեցիկ կյանք» խորագրով «Շանհայ Էքսպո-2010» համաշխարհային ցուցահանդեսին Հայաստանի Հանրապետության պաշտոնական մասնակցության պայմանագրի տեքստին՝ համաձայն N 3 հավելվածի:
3. Ընդունել ի գիտություն Չինաստանի Ժողովրդական Հանրապետության կառավարության կողմից նախատեսվող 650.000 ԱՄՆ-ի դոլարի ֆինանսական աջակցությունը (տաղավարի շինարարության, ձևավորման, պահպանման և այլ ծախսերի համար)` «Շանհայ Էքսպո-2010» համաշխարհային ցուցահանդեսին Հայաստանի Հանրապետության մասնակցության համար:
4. Հայաստանի Հանրապետության էկոնոմիկայի նախարարին`
1) «Շանհայ Էքսպո-2010» համաշխարհային ցուցահանդեսի համակարգման գրասենյակի գլխավոր տնօրենի հետ կնքել սույն որոշման 2-րդ կետով հավանության արժանացած պայմանագիրը.
2) «Զարգացման հայկական գործակալություն» փակ բաժնետիրական ընկերության հետ կնքել 2009 թվականի համար Հայաստանի Հանրապետության պետական բյուջեից հատկացվող 77717,78 հազ. դրամ միջոցների դրամաշնորհային պայմանագիր` Չինաստանի Ժողովրդական Հանրապետության Շանհայ քաղաքում կայանալիք` «Բարեկեցիկ քաղաք, բարեկեցիկ կյանք» խորագրով «Շանհայ Էքսպո-2010» համաշխարհային ցուցահանդեսին Հայաստանի Հանրապետության մասնակցությունը պատշաճ մակարդակով կազմակերպելու և նախատեսված աշխատանքներն իրականացնելու նպատակով:
5. «Զարգացման հայկական գործակալություն» փակ բաժնետիրական ընկերության գլխավոր տնօրենին`
1) բացել լրացուցիչ բանկային ենթահաշիվ` Չինաստանի Ժողովրդական Հանրապետության Շանհայ քաղաքում կայանալիք` «Բարեկեցիկ քաղաք, բարեկեցիկ կյանք» խորագրով «Շանհայ Էքսպո-2010» համաշխարհային ցուցահանդեսին Հայաստանի Հանրապետության մասնակցության համար նախատեսված ֆինանսական միջոցներն օգտագործելու նպատակով.
2) աշխատանքներն իրականացնել ըստ համապատասխան պայմանագրերի և վարել առանձին հաշվապահական հաշվառում:
6. Հայաստանի Հանրապետության մշակույթի նախարարին` քննարկել և ներկայացնել առաջարկություն «Շանհայ Էքսպո-2010» համաշխարհային ցուցահանդեսի ընթացքում Ազգային օրվա մշակութային ծրագրի, մասնավորապես, «Սպարտակ» բալետի ներկայացման հնարավորության վերաբերյալ:
7. Հայաստանի Հանրապետության արտաքին գործերի նախարարին` կազմակերպել Չինաստան մեկնող պաշտոնական պատվիրակությունների և սպասարկող անձնակազմի ելքի թույլտվությունների տրամադրումը «Զարգացման հայկական գործակալություն» փակ բաժնետիրական ընկերության կողմից ներկայացված հայտերի հիման վրա:
8. Հայաստանի Հանրապետության կառավարությանն առընթեր պետական եկամուտների կոմիտեի նախագահին` ապահովել «Զարգացման հայկական գործակալություն» փակ բաժնետիրական ընկերության կողմից արտահանվող ցուցահանդեսային նմուշների և սարքավորումների մաքսային ձևակերպումները:
9. Հայաստանի Հանրապետության կառավարությանն առընթեր քաղաքացիական ավիացիայի գլխավոր վարչության պետին` ապահովել սպասարկող անձնակազմի, ցուցահանդեսային նմուշների և սարքավորումների տեղափոխումը:
10. Հայաստանի Հանրապետության փոխվարչապետ, Հայաստանի Հանրապետության տարածքային կառավարման նախարարին, Հայաստանի Հանրապետության ֆինանսների նախարարին, Հայաստանի Հանրապետության քաղաքաշինության նախարարին, Հայաստանի Հանրապետության մշակույթի նախարարին, Հայաստանի Հանրապետության գյուղատնտեսության նախարարին, Հայաստանի Հանրապետության բնապահպանության նախարարին և Հայաստանի Հանրապետության սփյուռքի նախարարին` աջակցել Չինաստանի Ժողովրդական Հանրապետության Շանհայ քաղաքում կայանալիք` «Բարեկեցիկ քաղաք, բարեկեցիկ կյանք» խորագրով «Շանհայ Էքսպո-2010» համաշխարհային ցուցահանդեսին Հայաստանի Հանրապետության մասնակցության միջոցառումների ծրագրի կատարման գործընթացին:
11. Սույն որոշումն ուժի մեջ է մտնում պաշտոնական հրապարակմանը հաջորդող օրվանից:
Հայաստանի Հանրապետության |
Տ. Սարգսյան |
2009 թ. հուլիսի 27 Երևան |
|
Հավելված N 1 ՀՀ կառավարության 2009 թվականի հուլիսի 2-ի N 840-Ն որոշման |
Ծ Ր Ա Գ Ի Ր
2010 ԹՎԱԿԱՆԻ ՄԱՅԻՍ-ՀՈԿՏԵՄԲԵՐ ԱՄԻՍՆԵՐԻՆ ՉԻՆԱՍՏԱՆԻ ԺՈՂՈՎՐԴԱԿԱՆ ՀԱՆՐԱՊԵՏՈՒԹՅԱՆ ՇԱՆՀԱՅ ՔԱՂԱՔՈՒՄ ԿԱՅԱՆԱԼԻՔ «ԲԱՐԵԿԵՑԻԿ ԿՅԱՆՔ, ԲԱՐԵԿԵՑԻԿ ՔԱՂԱՔ» ԽՈՐԱԳՐՈՎ ՇԱՆՀԱՅ ԷՔՍՊՈ 2010 ՀԱՄԱՇԽԱՐՀԱՅԻՆ ՑՈՒՑԱՀԱՆԴԵՍԻՆ ՀԱՅԱՍՏԱՆԻ ՀԱՆՐԱՊԵՏՈՒԹՅԱՆ ՄԱՍՆԱԿՑՈՒԹՅԱՆ
1. ԸՆԴՀԱՆՈՒՐ ԴՐՈՒՅԹՆԵՐ «EXPO 2010» ՀԱՄԱՇԽԱՐՀԱՅԻՆ ՑՈՒՑԱՀԱՆԴԵՍԻ ԱՆՑԿԱՑՄԱՆ ԺԱՄԿԵՏՆԵՐԸ, ՄԱՍՆԱԿԻՑՆԵՐԸ
«Էքսպո 2010» համաշխարհային ցուցահանդեսն անցկացվելու է ՉԺՀ Շանհայ քաղաքում 2010թ. մայիսի 1-ից հոկտեմբերի 31-ը: Ցուցահանդեսի հիմնական խորագիրն է «Բարեկեցիկ քաղաք - բարեկեցիկ կյանք»: Ցուցահանդեսին մասնակցելու են 177 պետություններ և 44 միջազգային կազմակերպություններ: Ցուցահանդեսի ընթացքում սպասվում է 70 մլն այցելու: «Բարեկեցիկ քաղաք - բարեկեցիկ կյանք» խորագրի ներքո, որոշվել է հայաստանյան մասնակցությունը անցկացնել «Գեոպոլիս (աշխարհի քաղաք)» թեմայով:
Մասնակից յուրաքանչյուր պետության խնդիրն է լինելու ներկայացնել իր մշակույթը, պատմությունը, տնտեսական և մտավոր ներուժը:
ՀՀ կառավարության 2008թ. օգոստոսի 21-ի թիվ 954-Ա որոշման 2-րդ կետի, ինչպես նաև ՀՀ վարչապետի 30.05.2006թ. N 019-3408 և 19.06.2006թ. N 019-3925 հանձնարարականների համաձայն, «Զարգացման հայկական գործակալություն» ՓԲԸ-ն` որպես ազգային օպերատոր, իրականացնում է «Էքսպո Շանհայ 2010» Համաշխարհային Էքսպո ցուցահանդեսին ՀՀ մասնակցությունը ապահովելու նախապատրաստական աշխատանքները, համագործակցելով ՀՀ էկոնոմիկայի նախարարության, ՀՀ արտաքին գործերի նախարարության և Չինական կողմի կազմակերպիչների հետ:
ՀՀ կառավարության 2008թ. օգոստոսի 21-ի թիվ 954-Ա որոշման 1-ին կետի, ինչպես նաև ՀՀ վարչապետի 13.11.2007թ. N 019-5773 հանձնարարականի համաձայն` ՀՀ էկոնոմիկայի նախարարը ստանձնել է «Էքսպո Շանհայ 2010» Համաշխարհային Էքսպո ցուցահանդեսին ՀՀ մասնակցության գլխավոր հանձնակատարի պարտականությունները:
Չինական կողմի հետ Հայաստանի Հանրապետության մասնակցության պայմանագիրը կստորագրվի 2009 թ. մայիս-հոկտեմբեր ամիսներին:
ԶՀԳ ՓԲԸ-ն, ի դեմս գլխավոր տնօրենի, կստանձնի տաղավարի տնօրինության գործառույթը և ցուցահանդեսի նախապատրաստական աշխատանքները կիրականացնի աշխատանքային խմբի միջոցով՝ արտահանման զարգացման ուղղության տնօրենի գլխավորությամբ:
2. «ԷՔՍՊՈ 2010» ՀԱՄԱՇԽԱՐՀԱՅԻՆ ՑՈՒՑԱՀԱՆԴԵՍԻՆ ՀԱՅԱՍՏԱՆՅԱՆ ՄԱՍՆԱԿՑՈՒԹՅԱՆ ԹԵՄԱՏԻԿԱՆ
Հայ ժողովրդի գոյության պատմության ամբողջ ընթացքում նրա արարող Միտքը ստեղծում և կառուցում էր իր և օտար քաղաքներ, որի վառ ապացույցն է հանդիսանում ճարտարապետական հուշարձանների անհամար քանակը` սփռված ամբողջ աշխարհով: Ցավոք, Ժամանակը քայքայել է այդ հոյակերտ կառույցների մի ահռելի քանակ, և այսօր մեզ է հասել դրանց միայն մի փոքր մասը:
EXPO-2010-ում Հայաստանի ցուցասրահը ներկայացնում է աշխարհին հայկական ազգային քաղաքաշինական Մտքի անհերքելի ներդրումը` մարդու կենսական քաղաքակիրթ տարածության ձևավորման մեջ, և քննարկման է ներկայացնում մի առաջարկ` մարդկության պատմության մեջ առաջին անգամ համատեղ ուժերով կառուցել Արարատ լեռան փեշին Գեոպոլիս (Աշխարհի Քաղաք), որի վրա Ժամանակը չի կարող իշխել:
Գեոպոլիսը` սինթեզված և իրականացված իրական տարածության մեջ, կդառնա քաղաքակրթությունների փոխգործունեության տարածություն, ազգային մշակութային նվաճումների հուսալի պահապան, Կյանքի նորագույն տեխնոլոգիաների ներդրման բարենպաստ միջավայր, աշխարհի յուրաքանչյուր քաղաքացու համար ապրելու հարմարավետ վայր:
Ցուցասրահի հիմնական բաղադրիչները`
Ցուցասրահի առաջին (կենտրոնական) բաղադրիչը Գեոպոլիսի թափանցիկ մակետն է: Դրա գլխավոր հատակագծի սխեման (Կենաց Ծառի) տեսքով, նախատեսում է ինչպես ազգային թաղամասերի (հայկական, ռուսական, ֆրանսիական, չինական, ամերիկյան, հնդկական և այլն) ստեղծում, այնպես էլ հասարակական տարածքների ստեղծում (Երաժշտության հրապարակ, Ժամանակի հրապարակ և այլն):
Ազգային թաղամասերը կազմված կլինեն 5-7 մոդուլային համալիրներից` կատարված յուրաքանչյուր ազգին բնորոշ ճարտարապետական ոճով: Դա` Կյանքի մոդուլն է (հյուրանոցներ, բնակելի շենքեր, տնամերձ շինություններ), Հիշողության մոդուլ (ազգային թանգարաններ, գրադարաններ, ձայնադարաններ), Ժամանցի մոդուլ (խանութներ, սրճարաններ, ազգային խոհանոցի ռեստորաններ), Առողջության մոդուլ (ավանդական առողջության համալիրներ, SPA), Բնության մոդուլ (այգիներ, կենդանաբանական օազիսներ, օվկիանոսարիումներ) և այլն:
Երկրորդ բաղադրիչը, նույնպես կատարված թեթև թափանցիկ նյութից` «ազգերի կլոր սեղանն է», որը տեղադրված է մակետի շրջագծով և որի վրա շրջանով մեկ տեղադրված են ակտիվ մոնիտորներ` քաղաք վիրտուալ մուտքի համար (նախօրոք ստեղծված վիրտուալ մակետ):
Ցուցահանդեսի յուրաքանչյուր այցելու կարող է մտնել քաղաքի (City-Post) կենտրոնական էլ/կայք և թողնել իր ցանկությունը վիրտուալ «Աշխարհի մատյանում», արտահայտել իր կարծիքը քաղաքի այս կամ այն կառույցի մասին, առաջարկել քաղաքապետի թեկնածություն կամ ազգային թաղամաս, նշել դրա կառուցման մեջ իր ուժերին համապատասխան մասնակցության հնարավորությունը, ուղղակի ցուցահանդեսում դառնալ Գեոպոլիսի ապագա քաղաքացի և այլն:
Երրորդ բաղադրիչը` դա շրջագծով տեղադրված, հայկական խաչքարերին ոճանմանեցված պատերի սալաքարեր են: Դրանց վրա հատուկ պատրաստված, լուսավորված որմնախորշերում կտեղադրվեն բազմաթիվ հայկական հուշարձանների և ճարտարապետական կառույցների ֆոտոպատկերները` սկսած հին ժամանակներից մինչև մեր օրերը, որոնք գտնվում են ինչպես Հայաստանում, այնպես էլ աշխարհով մեկ: Որոշ որմնախորշեր դատարկ կթողնվեն, որպես չպահպանված մշակութային արժեքների խորհրդանիշ (ընդ որում, միշտ հնարավորություն կլինի ծանոթանալ վերականգնված պատկերին առանձին կատալոգում):
Չորրորդ բաղադրիչը` դա կիսաշրջան ճակատային համապատկերի պատն է Արարատ լեռան պատկերով, որի ֆոնի վրա էլ կցուցադրվի Գեոպոլիսի մակետը: Այդ պատի թիկունքային կողմից կարող են տեղադրվել բոլոր անհրաժեշտ տեխնիկական բնակատեղերը:
Բացի հիմնական չորս բաղադրիչներից ցուցասրահի կառուցվածքը թույլ է տալիս տարբեր լրացուցիչ ցուցադրափեղկերի, շտենդերների և գովազդային նյութերի, ֆուրշետային հյուրասիրությունների համար նախատեսված սեղանիկների տեղադրման հնարավորություն:
Նախատեսված է լսողական սարքավորման հատուկ սխեմա, որը թույլ կտա ուղեկցել ցուցադրումը համապատասխան ֆոնային երաժշտությամբ` գործիքավորված հատուկ այդ ցուցասրահի համար: Բացի այդ, մշակված են բիո-ճարտարապետության մանրամասներ, որոնք թույլ կտան հագեցնել ցուցասրահը կենդանի բնության տարրերով: Ցուցասրահի ճակատային մասում կտեղադրվի յուրաքանչյուր այցելուի ուշադրությունը գրավող Գեոպոլիսի համատեղ կառուցման բուն գաղափարի ակտիվ գովազդը: Լուսային հիմնակմախքի տեղադրման հատուկ սխեման թույլ կտա օգտագործել տարբեր տեղային լուսավորում, ինչի հաշվին հնարավոր կլինի փոխել ցուցասրահի ընդհանուր տեսքը օրվա ընթացքում կամ ցուցադրման ամբողջ ժամանակի ընթացքում, առանձնացնել ամենակարևոր բաղադրիչները (օրինակ` քաղաքի մակետի ներքին ճառագայթային լուսավորումը ներսից` ցուցասրահի ընդհանուր մթնեցված տարածքի ֆոնի վրա ունակ է ստեղծել ապշեցուցիչ էֆեկտ):
3. «ԷՔՍՊՈ-2010» ՀԱՄԱՇԽԱՐՀԱՅԻՆ ՑՈՒՑԱՀԱՆԴԵՍԻՆ ՀԱՅԱՍՏԱՆԻ ՀԱՆՐԱՊԵՏՈՒԹՅԱՆ ՖԻՆԱՆՍԱՎՈՐՈՒՄԸ
Հայաստանին իր տաղավարի համար հատկացվելու է 500 քմ (որից ձևավորման ենթակա տարածքը կազմում է 324 քմ) տարածք եվրոպական միացյալ տաղավարում: Ցուցահանդեսին Հայաստանի մասնակցության ծախսը գնահատվում է 569354.37 հազար ՀՀ դրամ, ակնկալվում է նաև չինակամ կողմից ֆինանսական աջակցություն 650 հազ. ԱՄՆ դոլարի չափով: Այս գումարների շրջանակում իրականացվելու են տաղավարի նախագծման և ձևավորման աշխատանքները, տեխնիկական միջոցների, անհրաժեշտ գովազդային նյութերի և ցուցանմուշների ձեռք բերման, ինչպես նաև ընթացիկ աշխատանքների իրականացման հետ կապված ծախսերը:
Ցուցահանդեսի նախապատրաստման և մասնակցության համար նախատեսված են ֆինանսավորման հետևյալ աղբյուրները`
ա) ՀՀ պետական բյուջե
բ) աջակցություն չինական կողմից
գ) կոմերցիոն հատվածից ստացված վճարներ։
4. ԱՆՀՐԱԺԵՇՏ ՑՈՒՑԱՆՄՈՒՇՆԵՐԻ ԵՎ ՈՒՂԵԿՑՈՂ ԳՐԱՎՈՐ ՏԵՂԵԿԱՏՎԱԿԱՆ ՆՅՈՒԹԵՐԻ ՊԱՏՐԱՍՏՈՒՄԸ
Ի կատարումն ՀՀ կառավարության 2008թ. օգոստոսի 21-ի թիվ 954-Ա որոշման բոլոր շահագրգիռ նախարարությունները, գերատեսչությունները և այլ կազմակերպություններն աջակցում են «ԷՔՍՊՈ-2010» ցուցահանդեսին` իրենց ոլորտին վերաբերող անհրաժեշտ ցուցանմուշներ ու լրատվական նյութեր տրամադրելով և նոր տեղեկատվական նյութեր պատրաստելով, ինչպես նաև «Զարգացման հայկական գործակալություն» փակ բաժնետիրական ընկերությանը նախօրոք տրամադրում են ցուցանմուշների ցանկերը, չափսերը, քաշը և այլ անհրաժեշտ տեղեկատվություն տաղավարի ընդհանուր ձևավորման, տեղափոխման նախնական հաշվարկների իրականացման նպատակով:
«Զարգացման հայկական գործակալություն» փակ բաժնետիրական ընկերությունը Հայաստանի Հանրապետության կառավարությանն առընթեր պետական եկամուտների կոմիտե կներկայացնի առաջարկություններ` ցուցանմուշների տեղափոխման հետ կապված մաքսային ձևակերպումների իրականացման վերաբերյալ:
5. ՀԵՏՑՈՒՑԱՀԱՆԴԵՍԱՅԻՆ ՇՐՋԱՆ
Ցուցահանդեսի ավարտից հետո ազգային օպերատորի կողմից կիրականացվի համապատասխան փաստաթղթերի ստորագրում, ակտերի կազմում և վերադարձվելիք ցուցանմուշների առաքում Հայաստան:
6. ՀԱՅԱՍՏԱՆԻ ՀԱՆՐԱՊԵՏՈՒԹՅԱՆ ԱԶԳԱՅԻՆ ՕՐԸ
Հայաստանի Հանրապետության ազգային օրը նախատեսվում է անցկացնել 2010 թվականի սեպտեմբերի 21-ին: Ազգային օրվա շրջանակներում նախատեսվում է Հայաստանի Հանրապետության պետական պատվիրակության այցը:
Ազգային օրվա անցկացման ծրագրի նախագիծը կմշակվի Հայաստանի Հանրապետության բոլոր շահագրգիռ նախարարությունների, կազմակերպությունների և ստեղծագործական խմբի հետ համատեղ: Ազգային օրվա ծրագրում պարտադիր մաս են կազմելու Հայաստանի Հանրապետության հիմնի կատարումը, դրոշի բարձրացման արարողությունը և ողջույնի խոսքը:
Ազգային օրվա շրջանակներում նախատեսվում է նաև հայկական ուտեստների և ըմպելիքների համտեսում:
7. ՀԱՅԱՍՏԱՆԻ ՀԱՆՐԱՊԵՏՈՒԹՅԱՆ ՏԱՂԱՎԱՐԻ ԿՈՄԵՐՑԻՈՆ ՀԱՏՎԱԾԸ
Հայաստանի Հանրապետության տաղավարում նախատեսվում է կազմակերպել կոմերցիոն հատված, որը բաղկացած է լինելու երկու մասից՝ հուշանվերների խանութ և սննդի կետ: Կոմերցիոն հատվածի կազմակերպումը և աշխատանքների իրականացումը կստանձնի մրցութային կարգով ընտրված հայկական ընկերություններից մեկը: Մրցույթը անցկացնելու է ԶՀԳ ՓԲԸ-ն:
8. ՀՅՈՒՊԱՏՈՍԱԿԱՆ ՀԱՐՑԵՐ
Հայաստանի Հանրապետության արտաքին գործերի նախարարությունը «Զարգացման հայկական գործակալություն» փակ բաժնետիրական ընկերության կողմից ներկայացված հայտերի հիման վրա պետք է կազմակերպի սպասարկող անձնակազմի և պաշտոնական պատվիրակությունների ելքի թույլտվությունների օպերատիվ տրամադրումը, ինչպես նաև դիվանագիտական ճանապարհներով համակողմանի օժանդակություն ցուցաբերի ցուցահանդեսի նախապատրաստմանը և ընթացիկ աշխատանքների կատարմանը:
9. ԲԺՇԿԱԿԱՆ ԾԱՌԱՅՈՒԹՅՈՒՆ
«Զարգացման հայկական գործակալություն» փակ բաժնետիրական ընկերությունը չինական արտոնագրված ապահովագրական ընկերությունների միջոցով կկազմակերպի սպասարկող անձնակազմի բժշկական ապահովագրությունը «ԷՔՍՊՈ-2010» համաշխարհային ցուցահանդեսի ընթացքում:
10. ԱՇԽԱՏԱԿԱԶՄԻ ՆԱԽԱՊԱՏՐԱՍՏՈՒՄ
«Զարգացման հայկական գործակալություն» փակ բաժնետիրական ընկերությունը ցուցահանդեսին հայաստանյան տաղավարում աշխատանքների վարման նպատակով կապահովի աշխատակիցների ուսուցումը և գործուղումը: Սպասարկող անձնակազմը գործուղմանը նախորդող երեք ամիսների ընթացքում կանցնի չինարեն լեզվի արագացված դասընթացներ:
11. ՊԱՇՏՈՆԱԿԱՆ ԸՆԴՈՒՆԵԼՈՒԹՅՈՒՆՆԵՐԸ
Պաշտոնական ընդունելությունը կղեկավարի «ԷՔՍՊՈ-2010» համաշխարհային ցուցահանդեսին հայաստանյան մասնակցության Գլխավոր հանձնակատարը` ՀՀ էկոնոմիկայի նախարարը: Պաշտոնական ընդունելությունը կազմակերպվելու է ցուցահանդեսի ընթացքում անցկացվելիք ազգային օրվա շրջանակներում:
Պաշտոնական ընդունելության ժամանակ նախատեսվում է պատվիրակության հանդիպումները կազմակերպիչների և Չինաստանի բարձրաստիճան պաշտոնյաների հետ, այցելություններ այլ տաղավարներ, ինչպես նաև տոնական ֆուրշետ:
Հայաստանի Հանրապետության կառավարության աշխատակազմի ղեկավար |
Դ. Սարգսյան |
Հավելված N 2 ՀՀ կառավարության 2009 թվականի հուլիսի 2-ի N 840-Ն որոշման |
Ժ Ա Մ Ա Ն Ա Կ Ա Ց ՈՒ Յ Ց
2010 ԹՎԱԿԱՆԻ ՄԱՅԻՍ-ՀՈԿՏԵՄԲԵՐ ԱՄԻՍՆԵՐԻՆ ՉԻՆԱՍՏԱՆԻ ԺՈՂՈՎՐԴԱԿԱՆ ՀԱՆՐԱՊԵՏՈՒԹՅԱՆ ՇԱՆՀԱՅ ՔԱՂԱՔՈՒՄ ԿԱՅԱՆԱԼԻՔ «ԲԱՐԵԿԵՑԻԿ ԿՅԱՆՔ, ԲԱՐԵԿԵՑԻԿ ՔԱՂԱՔ» ԽՈՐԱԳՐՈՎ ՇԱՆՀԱՅ ԷՔՍՊՈ 2010 ՀԱՄԱՇԽԱՐՀԱՅԻՆ ՑՈՒՑԱՀԱՆԴԵՍԻՆ ՀԱՅԱՍՏԱՆԻ ՀԱՆՐԱՊԵՏՈՒԹՅԱՆ ՄԱՍՆԱԿՑՈՒԹՅԱՆ ԾՐԱԳՐԻ ԻՐԱԿԱՆԱՑՄԱՆ ՄԻՋՈՑԱՌՈՒՄՆԵՐԻ
NN |
Միջոցառում |
Աշխատանքների նկարագիր |
Նախա-տեսվող ժամկետը |
Պատասխանատու կատարողը |
Աշխատանքի կատարման վիճակը |
ՆԱԽԱՊԱՏՐԱՍՏԱԿԱՆ ՇՐՋԱՆ | |||||
1 |
Ազգային օրվա հայտի ներկայացում կազմակերպիչներին |
Ցուցահանդեսի ընթացքում Հայաստանի ազգային օրվա անցկացման համար անհրաժեշտ է ներկայացնել հայտ կազմակերպիչներին, որի մեջ կնշվի նախընտրելի ժամկետը: Հայաստանի ազգային օրվա համար ներկայացվել է առաջարկություն անցկացնել այն 2010թ. սեպտեմբերի 21-ին: |
2009թ. |
ՀՀ էկոնոմիկայի նախարարություն «Զարգացման հայկական գործակալություն» ՓԲԸ |
Կատարված է |
2 |
Հայաստանյան մասնակցության հայեցակարգի մշակում |
Կմշակվի հայաստանյան մասնակցության հայեցակարգը, որը հիմք կհանդիսանա ցուցահանդեսին մասնակցության խորագրի ներկայացմանը: Ստեղծագործական խումբը կնախագծի տաղավարը ըստ մշակված հայեցակարգի |
2009թ. |
«Զարգացման հայկական գործակալություն» ՓԲԸ |
Կատարված է |
Ստեղծագործական խումբ | |||||
3 |
Տեղեկատվության և համագործակցության մասին նամակ-առաջարկ կազմակերպություններին |
Զարգացման հայկական գործակալության կողմից կուղարկվեն նամակներ համապատասխան տեղեկատվությունը ստանալու վերաբերյալ, ինչպես նաև կոմերցիոն մասի կազմակերպման վերաբերյալ |
2009թ. |
«Զարգացման հայկական գործակալություն» ՓԲԸ |
|
4 |
Մասնակցության պայմանագրի ներկայացում ՀՀ կառավարությանը` հաստատելու նպատակով |
Չինական կողմից ստացված մասնակցության պայմանագրի ձևի հիման վրա կլրամշակվի հայաստանյան մասնակցության պայմանագիրը, որը կուղարկվի ՀՀ կառավարություն հավանություն ստանալու նպատակով: |
2009թ. |
«Զարգացման հայկական գործակալություն» ՓԲԸ |
Կատարված է |
5 |
Կոմերցիոն մասի կազմակերպում |
ԶՀԳ-ի կողմից կմշակվի ՀՀ տաղավարի կոմերցիոն մասի հայեցակարգը և մրցույթի միջոցով կընտրվի այն ընկերությունը, որը այն կիրականացնի: |
2009թ. |
«Զարգացման հայկական գործակալություն» ՓԲԸ |
|
6 |
Հաստատված մասնակցության պայմանագրի կնքում կազմակերպիչների հետ |
ՀՀ կառավարության կողմից հաստատված մասնակցության պայմանագիրը կկնքվի կազմակերպիչների հետ: |
2009թ. |
«Զարգացման հայկական գործակալություն» ՓԲԸ |
Կատարված է |
7 |
Տաղավարի նախագծում |
Կնախագծվի ՀՀ տաղավարը, կկատարվեն դիզայներական մշակումները, կհաստատվի էքսպոզիցիան, տաղավարը կներկայացվի 3-Դ անիմացիայի միջոցով: Ընտրված ճարտարապետական ընկերության կողմից կպատրաստվի և կթարգմանվի չինարեն նախագծի կառուցապատման և ձևավորման պլանը |
2009թ. |
Ստեղծագործական խումբ |
|
8 |
Չինական կողմին ֆինանսական աջակցության հայտի ներկայացում |
Պայմանագիրը կնքելուց հետո բանակցություններ կվարվեն չինական կողմի հետ, և կներկայացվի ֆինանսական աջակցության հայտ: |
2009թ. |
«Զարգացման հայկական գործակալություն» ՓԲԸ |
|
9 |
Ցուցահանդեսի կազմակերպիչների կողմից արտոնագրված ընկերության ընտրությունը |
ՀՀ տաղավարի ներքին հարդարանքը պետք է իրականացնի կազմակերպիչների կողմից արտոնագրված ընկերություններից մեկը, որի ընտրությունն էլ կկատարվի մրցույթի միջոցով |
2009թ. |
«Զարգացման հայկական գործակալություն» ՓԲԸ |
|
10 |
Ցուցահանդեսի գովազդային նյութերի պատրաստում և ձեռքբերում |
Մրցութային կարգով կընտրվեն այն ընկերությունները, որոնցից կպահանջվի հետևյալը` |
2009թ. |
«Զարգացման հայկական գործակալություն» ՓԲԸ |
|
Հայաստանյան մասնակցության խորհրդանիշի դիզայն | |||||
Հուշանվերների պատրաստում, նյութերի տպագրում | |||||
Հայաստանը ներկայացնող սկավառակի ստեղծում, «Զարգացման հայկական գործակալություն» ՓԲԸ-ի բրոշյուրների, ազգային օրվա հրավիրատոմսերի և անհրաժեշտ այլ նյութերի պատրաստում և տպագրում, արտահանող ձեռնարկությունների սկավառակի բազմացում | |||||
Տեղեկատվական վահանակների, սլայդների, ֆոտոների, ցուցափեղկերի տեքստերի, գովազդի պատրաստում և հասարակությանն իրազեկում, տաղավարի ընդհանուր կատալոգի տպագրություն, ընդհանուր ցուցահանդեսային պարագաների, ալբոմների նյութերի հավաքագրում | |||||
11 |
ՀՀ տաղավարի ցուցանմուշների և դեկորացիաների ձեռքբերում ընտրված ընկերություններից |
Ստեղծագործական խմբի պահանջի հիման վրա ընտրված ընկերությունների կողմից կիրականացվի ՀՀ տաղավարում ցուցադրվելիք ցուցանմուշների և թեմատիկ դեկորացիաների պատվիրում և ձեռքբերում: Դրանք պետք է համապատասխանեն ՀՀ տաղավարի ընդհանուր թեմատիկային |
2009թ. |
«Զարգացման հայկական գործակալություն» ՓԲԸ |
|
12 |
Ցուցանմուշների և այլ անհրաժեշտ պարագաների տեղափոխում ցուցահանդես |
Ձեռք բերված նյութերը և դեկորացիաները կհավաքագրվեն, կփաթեթավորվեն, ընտրված ընկերության կողմից կարտահանվեն Չինաստան, որտեղ համապատասխան մաքսային ձևակերպումների ավարտից հետո կպահեստավորվեն ցուցահանդեսի տարածքում |
2009թ. |
«Զարգացման հայկական գործակալություն» ՓԲԸ |
|
13 |
ՀՀ տաղավարի ներքին հարդարանք և դեկորացիաների տեղադրում |
Ընտրված արտոնագրված ընկերության կողմից կիրականացվի ՀՀ տաղավարի ներքին հարդարանքը և դեկորացիաների տեղադրումը, ԶՀԳ-ի կողմից ներկայացված նախագծի հիման վրա |
2009թ. |
«Զարգացման հայկական գործակալություն» ՓԲԸ |
|
Ցուցահանդեսի կազմակերպիչներ | |||||
Ստեղծագործական խումբ | |||||
14 |
Մուլտիմեդիա ծրագրի պատվիրում |
Տաղավարում առկա տեղեկատվական ակտիվ էկրանների /touch screen/, ինչպես նաև էքսպո օնլայն ծրագրի համար մրցութային կարգով ընտրված ընկերությունից կպատվիրվեն համապատասխան համակարգչային ծրագրերը, որոնք էլեկտրոնային ձևով կներկայացնեն ՀՀ տաղավարը և Հայաստանը |
2009թ. |
«Զարգացման հայկական գործակալություն» ՓԲԸ |
|
15 |
Տաղավարի նախապատրաստման նպատակով երկու աշխատակիցների գործուղում Շանհայ |
ՀՀ տաղավարի վերջնական ընդունման, ինչպես նաև աշխատանքների վերահսկման համար ԶՀԳ-ն 2 աշխատակից կգործուղի 32-ական օրով ցուցահանդեսի բացումից առաջ |
2009թ. |
«Զարգացման հայկական գործակալություն» ՓԲԸ |
|
16 |
Գույքի և անձնակազմի ապահովագրություն |
Ցուցահանդեսի անցկացման ժամանակահատվածում ցուցադրվելիք գույքը ապահովագրվելու է կազմակերպիչների կողմից արտոնագրված ընկերության կողմից, ինչպես նաև կգործի Հայաստանից մեկնած անձնակազմի ապահովագրությունը |
2009թ. |
«Զարգացման հայկական գործակալություն» ՓԲԸ |
|
17 |
Տաղավարի ենթակառուցվածքի ձեռքբերում և մոնտաժում/ տեխնիկական հագեցվածության ապահովում |
Կազմակերպչի կողմից կիրականացվեն հետևյալ աշխատանքները` օդափոխության համակարգի մոնտաժում և համապատասխան պարագաների ձեռքբերում, գրասենյակի կահավորման և սարքավորումների ձեռքբերում, մոնտաժում և ապամոնտաժում, ջրի և կոյուղու համակարգերի մոնտաժում, էլեկտրականության, հեռահաղորդակցական ցանցի և անվտանգության համակարգերի մոնտաժում և համապատասխան պարագաների ձեռքբերում, մուլտիմեդիա համակարգի, ձայնային համակարգի, լուսավորության համակարգի և վիդեո համակարգի ձեռքբերում և մոնտաժում |
2010թ. |
«Զարգացման հայկական գործակալություն» ՓԲԸ |
|
ԷՔՍՊՈ 2010 ՀԱՄԱՇԽԱՐՀԱՅԻՆ ՑՈՒՑԱՀԱՆԴԵՍԻՆ ՄԱՍՆԱԿՑՈՒԹՅԱՆ ՇՐՋԱՆ | |||||
18 |
Սպասարկող անձնակազմի գործուղում ցուցահանդես |
Հայաստանի տաղավարում աշխատանքների իրականացման նպատակով նախատեսվում է ԶՀԳ 12 աշխատակիցների գործուղում ցուցահանդեսի անցկացման ընթացքում` 6 ամիս ժամանակահատվածով (1 մարդ 2 ամիս), որտեղ ըստ ժամանակացույցի նոր աշխատողը էստաֆետը կհանձնի 30 օր համատեղելով նախորդի հետ, այնուհետև միանձնյա կկատարի իր պարտականությունները (օրապահիկ, գիշերավարձ, ավիատոմսեր): Տաղավարում միաժամանակ կգտնվեն 4 աշխատակիցներ |
2010թ. |
«Զարգացման հայկական գործակալություն» ՓԲԸ |
|
19 |
Ընթացիկ աշխատանքներ |
Տաղավարի աշխատանքների իրականացման համար գոյություն ունի անհրաժեշտություն վարձակալել համապատասխան չինացի մասնագետներին, որոնք են` Քարտուղար |
2010թ. |
«Զարգացման հայկական գործակալություն» ՓԲԸ |
|
20 |
Ցուցահանդեսի ընթացքում Հայաստանի ազգային օրվա անցկացում |
Ցուցահանդեսի անցկացման ընթացքում նախատեսվում է անցկացնել Հայաստանի ազգային օր, որն ըստ նախնական պայմանավորվածության կանցկացվի 2010թ. սեպտեմբերի 21-ին: Օրը պատշաճ անցկացնելու նպատակով Հայաստանից ցուցահանդես կգործուղվեն ստեղծագործական համույթներ, ինչպես նաև կիրականացվի ՀՀ պաշտոնական պատվիրակության ընդունելություն: Սեպտեմբերի 21-ին նախատեսվում է կազմակերպել տոնական ֆուրշետ, որտեղ հյուրերը կճաշակեն հայկական ուտեստներ և կկազմակերպվեն ներկայացումներ, որոնք կշարունակվեն ևս 4 օր |
2010թ. |
«Զարգացման հայկական գործակալություն» ՓԲԸ |
|
21 |
Տաղավարի ապամոնտաժման նպատակով երկու աշխատակիցների գործուղում Շանհայ |
ՀՀ տաղավարի ապամոնտաժման աշխատանքների վերահսկման համար, ինչպես նաև գույքագրման և որոշ պարագաների հետ առաքման համար ԶՀԳ-ն 2 աշխատակից կգործուղի 32-ական օրով ցուցահանդեսի փակումից հետո |
2010թ. |
«Զարգացման հայկական գործակալություն» ՓԲԸ |
|
22 |
Հայաստանյան մասնակցության ազգային օպերատորի գլխավորությամբ անկախ փորձա-գետի և կազմա-կերպիչների կողմից համա-պատասխան փաստաթղթերի ստորագրում, ցուցահանդեսի փակում |
ԶՀԳ-ի կողմից կազմակերպիչների հետ միասին կիրականացվեն ցուցահանդեսի կատարողական ակտերի ստորագրման գործընթացները |
2010թ. |
«Զարգացման հայկական գործակալություն» ՓԲԸ |
|
ՑՈՒՑԱՀԱՆԴԵՍԻ ԱՎԱՐՏԻՑ ՀԵՏՈ ԿԱՏԱՐՎԵԼԻՔ ԱՇԽԱՏԱՆՔՆԵՐ | |||||
23 |
Ցուցահանդեսի ավարտից հետո տաղավարի ապամոնտաժում |
Ցուցահանդեսի փակումից հետո կիրականացվի տաղավարի ապամոն-տաժում, գույքի փաթեթավորում, մաքսային ձևակերպումներ և տեղափոխում Հայաստան |
2010թ. |
«Զարգացման հայկական գործակալություն» ՓԲԸ |
|
ՉՆԱԽԱՏԵՍՎԱԾ ԾԱԽՍԵՐ | |||||
24 |
Չնախատեսված ծախսեր |
2009-2010թթ. |
«Զարգացման հայկական գործակալություն» ՓԲԸ |
Հայաստանի Հանրապետության կառավարության աշխատակազմի ղեկավար |
Դ. Սարգսյան |
Հավելված N 3 ՀՀ կառավարության 2009 թվականի հուլիսի 2-ի N 840-Ն որոշման |
Պ Ա Յ Մ Ա Ն Ա Գ Ի Ր
ՉԻՆԱՍՏԱՆԻ ԺՈՂՈՎՐԴԱԿԱՆ ՀԱՆՐԱՊԵՏՈՒԹՅԱՆ ՇԱՆՀԱՅ ՔԱՂԱՔՈՒՄ ԿԱՅԱՆԱԼԻՔ «ԲԱՐԵԿԵՑԻԿ ՔԱՂԱՔ-ԲԱՐԵԿԵՑԻԿ ԿՅԱՆՔ» ԽՈՐԱԳՐՈՎ «ՇԱՆՀԱՅ ԷՔՍՊՈ-2010» ՀԱՄԱՇԽԱՐՀԱՅԻՆ ՑՈՒՑԱՀԱՆԴԵՍԻՆ ՀԱՅԱՍՏԱՆԻ ՀԱՆՐԱՊԵՏՈՒԹՅԱՆ ՊԱՇՏՈՆԱԿԱՆ ՄԱՍՆԱԿՑՈՒԹՅԱՆ ՄԱՍԻՆ
Հայաստանի Հանրապետությունը (այսուհետ` Մասնակից) ի դեմս Հայաստանի Հանրապետության գլխավոր հանձնակատար ՀՀ էկոնոմիկայի նախարար պարոն Ներսես Երիցյանի, որն ի պատասխան Չինաստանի կառավարության հրավերի, պատրաստակամություն է հայտնել մասնակցելու Չինաստանի Շանհայ քաղաքում կայանալիք 2010 թվականի համաշխարհային ցուցահանդեսին մի կողմից, և Չինաստանի 2010 թվականի համաշխարհային ցուցահանդեսի կոորդինացման բյուրոն (այսուհետ` Կազմակերպիչ), ի դեմս գլխավոր տնօրեն պարոն Հոնգ Հաոյի մյուս կողմից, պայմանավորվեցին հետևյալի մասին.
Գ լ ու խ 1
ԸՆԴՀԱՆՈՒՐ ԴՐՈՒՅԹՆԵՐ
Հոդված 1
1) Սույն պայմանագրի առարկան է` սահմանել պայմանները, որոնցով Հայաստանի Հանրապետությունը կմասնակցի Չինաստանի Շանհայ Էքսպո 2010 ցուցահանդեսին (այսուհետ` Ցուցահանդես):
2) Ցուցահանդեսների միջազգային բյուրոյի (այսուհետ` ՑՄԲ) կողմից հաստատված ցուցահանդեսների Ընդհանուր կարգավորումները և Հատուկ Կարգավորումները կազմում են սույն պայմանագրի անբաժանելի մասը և պարտադիր են երկու կողմերի համար:
3) Կողմերն ընդունում են Ցուցահանդեսի գլխավոր հանձնակատարի հեղինակությունը` համաձայն 1928 թվականի նոյեմբերի 22-ին Փարիզում ստորագրված և 1948 թվականի մայիսի 10-ի, 1966 թվականի նոյեմբերի 16-ի և 1972 թվականի նոյեմբերի 30-ի արձանագրություններով փոփոխված և լրացված, ինչպես նաև 1982 թվականի հունիսի 24-ի փոփոխություններով Միջազգային ցուցահանդեսների կոնվենցիայի դրույթների (այսուհետ` Կոնվենցիա) և ՑՄԲ-ի կողմից ընդունված կանոնների, մասնավորապես Ընդհանուր Կարգավորման 5-րդ հոդվածի:
Գ լ ու խ 2
ՄԱՍՆԱԿՑԻ ՑՈՒՑԱՀԱՆԴԵՍԱՅԻՆ ՏԱՐԱԾՔԸ
Հոդված 2
1) Կազմակերպիչը Մասնակցին անվճար կտրամադրի 500 քառ. մետր ցուցահանդեսային տարածք միացյալ ցուցասրահում:
Այս տարածքի վերաբերյալ տեղեկատվությունը տրվում է սույն պայմանագրի անբաժանելի մաս հանդիսացող հավելված N 1-ում:
2) Վերը նշված տարածքի տրամադրումը Մասնակցին Կազմակերպիչը կապահովի նախքան 2009 թվականի նոյեմբերի 1-ը:
3) Մասնակիցը համաձայն է ներկայացնել ցուցադրություն Ընդհանուր Կարգավորումներով և N 1 Հատուկ կարգավորումով նկարագրված Ցուցահանդեսի թեմային համապատասխան: Մասնակիցը կձևավորի ցուցահանդեսային տարածքը Կազմակերպչի հաստատած թեմային համապատասխան` համաձայն սույն պայմանագրի անբաժանելի մաս հանդիսացող հավելված N 2-ի:
4) Համաձայն Ընդհանուր և Հատուկ Կարգավորումների Մասնակիցը պատասխանատու է իրեն ամրագրված տարածքի ձևավորման, պահպանման, կառավարման և մաքրման համար:
5) Կազմակերպիչը կապահովի Էքսպո Շանհայ Օնլայն ծրագրի գործունեությունը և Մասնակիցը սույնով հաստատում է իր մասնակցությունը ծրագրին: Մանրամասն տեղեկատվությունը կից ներկայացվում է պայմանագրի անբաժանելի մաս հանդիսացող հավելված N 3-ում:
Հոդված 3
1) Մասնակցի կողմից զբաղեցրած տարածքի շահագործման ընթացքում Կազմակերպիչը կտրամադրի այնպիսի ծառայություններ, ինչպիսիք են ջրամատակարարումը և ջրահեռացումը, էլեկտրականության, օդակարգավորման, հեռահաղորդակցության, աղբահանության և այլ ծառայություններ` համաձայն Ընդհանուր Կարգավորման 34-րդ հոդվածի և Հատուկ Կարգավորման N 10-ի:
2) Սույն ծառայությունների պայմանները և սակագները նշված են Հատուկ Կարգավորումներով:
Հոդված 4
1) Կազմակերպիչը կապահովի Մասնակցին բոլոր անհրաժեշտ տեղեկատվությամբ` Ցուցահանդեսին Մասնակցի մասնակցությանը վերաբերող Չինաստանում գործող օրենսդրության և պետական կարգավորման, Չինաստանի կառավարության և տեղական ինքնակառավարման մարմինների դիրեկտիվների և քաղաքականության մասին:
2) Կազմակերպչի կողմից պահանջի դեպքում Մասնակիցը կներկայացնի տեղեկատվություն և փաստաթղթեր կապված`
ա) Մասնակցի Ցուցահանդեսի նախապատրաստմանը և իրականացմանը ներգրավված աշխատողների թվաքանակի, որակավորման և այլնի վերաբերյալ,
բ) Մասնակցի կողմից ցուցադրման նպատակով ներմուծվելիք ապրանքների և մատակարարվող իրերի վերաբերյալ:
3) Այս և այլ անհրաժեշտ տեղեկատվության փոխանակումը կնպաստի Ցուցահանդեսի հաջող իրականացմանը:
Հոդված 5
1) Մասնակիցը պատասխանատու է իր ազգային տաղավարում ցուցանմուշների ընտրության և տեղաբաշխման, ինչպես նաև տաղավարում բոլոր ներկաների ընտրության համար:
2) Մասնակիցը կապահովի ստորև նշված անձանց (կողմերի) գործունեության համապատասխանեցումը սույն պայմանագրի, Ընդհանուր և Հատուկ Կարգավորումների ու այլ պայմանագրերի դրույթներին`
ա) Ցուցահանդեսին մասնակցության հետ կապված Մասնակցին հատկացված տարածքում ցուցադրողները, ինչպես նաև նրանց աշխատողները և աշխատանքներ իրականացնողները,
բ) Մասնակցի կողմից տարբեր միջոցառումներում ներգրավված կամ կոմերցիոն գործունեություն իրականացնող կողմերը և նրանց աշխատողները,
գ) Մասնակցին հատկացված տարածքի ձևավորումների պատրաստմանը մասնակցող կողմերը և նրանց աշխատողները,
դ) բացի «ա»-ից մինչև «գ» ենթակետերում թվարկվածից, Մասնակցի այլ աշխատակիցներ և գործակալներ:
3) Կազմակերպիչը պարտավորվում է հաղորդակցվել վերը նշված անձանց հետ բացառապես Մասնակցի միջոցով:
Հոդված 6
1) Մասնակիցը պարտավորվում է.
ա) Ցուցահանդեսի ամբողջ ընթացքում, աշխատանքային ժամերին ապահովել այցելուների ազատ մուտքն իրեն ամրագրված տարածք,
բ) Ցուցահանդեսի անխափան աշխատանքի ապահովման նպատակով լիազորել Կազմակերպչին իրականացնել Մասնակցին ամրագրված տարածքում տեղադրման, պահպանման և վերանորոգման աշխատանքներն անհատույց, առանց վնասելու ցուցանմուշները, բացառությամբ արտակարգ իրավիճակների,
գ) մինչև 2010 թվականի նոյեմբերի 30-ը Կազմակերպչին հանձնել տրամադրված տարածքը` իր սկզբնական տեսքով:
2) Մասնակցի կողմից վերը նշված պարտավորությունների չկատարման դեպքում Ցուցահանդեսի գլխավոր հանձնակատարը կարող է կիրարկել Ընդհանուր Կարգավորումների 18-րդ հոդվածով սահմանված իր իրավունքները:
Գ լ ու խ 3
ՄԱՍՆԱԿՑԻ ԱՌԵՎՏՐԱՅԻՆ ԳՈՐԾՈՒՆԵՈՒԹՅՈՒՆԸ
Հոդված 7
1) Մասնակիցն իրեն հատկացված տարածքում` համաձայն սույն պայմանագրի 2-րդ հոդվածի և համապատասխան կարգավորումներում ամրագրված դրույթների, երկրի ճաշատեսակները ցուցահանդեսի այցելուներին ներկայացնելու նպատակով կարող է հիմնել ռեստորան: Կազմակերպիչը չի ստանա ռեստորանի տարածքի վարձակալության հետ կապված լրացուցիչ վարձավճար, սակայն Մասնակիցը պետք է Կազմակերպչին ամսական վճարի ռոյալթի ռեստորանի առևտրային շրջանառությունից հետևյալ գնահատմանը համարժեք`
-
արագ սպասարկման սննդի կետից` ամբողջ շրջանառությունից ութ տոկոս (8%), կամ
-
սրճարանատիպ ռեստորանի համար` ամբողջ շրջանառության վեց տոկոս (6%), կամ
-
բարձրակարգ ռեստորանների համար` ամբողջ շրջանառության երեք տոկոս (3%):
2) Սույն հոդվածում և 8-րդ հոդվածում գործածվող «Առևտրային շրջանառություն» հասկացությունը նշանակում է Ցուցահանդեսի ամբողջ ընթացքում սպառողներից գանձված ընդհանուր գումարը ռեստորանային և այլ առևտրի ժամանակ:
3) Համաձայն սույն պայմանագրի 2-րդ հոդվածի` Մասնակիցն իրեն հատկացված տարածքում, բացառապես իր աշխատակազմի համար, կարող է կազմակերպել նաև սննդի և հանգստյան կետեր: Տվյալ ծառայության համար որևէ վճար չի գանձվում հօգուտ Կազմակերպչի: Ռեստորանը և հանգստյան գոտին գտնվում են հոդված 2-ով նախատեսված տարածքում:
4) Ռեստորանի և հանգստյան գոտու հիմնման հետ կապված մանրամասն պայմաններն ամրագրված են Ընդհանուր Կարգավորումների 34-րդ հոդվածում նշված N 9 Հատուկ Կարգավորումներում:
Հոդված 8
1) Մասնակիցն այցելուներին կարող է վաճառել իր երկիրը և կազմակերպությունը ներկայացնող լուսանկարներ, սլայդներ, բացիկներ, գրքեր, դրոշմանիշեր, աուդիո և վիդեո արտադրանք (?Ֆիլմեր, CD-ներ և այլ էլեկտրոնային նյութեր): Մասնակիցը, Կազմակերպչի հետ համաձայնեցված, կարող է նաև վաճառել ապրանքներ, որոնք ճշգրիտ ներկայացնում են երկիրը կամ կազմակերպությունը: Ցուցահանդեսի ընթացքում Կազմակերպչի նախնական թույլտվությամբ այս ապրանքները կարող են փոխարինվել այլ ապրանքներով:
2) Մասնակիցն այս տեսակ ապրանքների վաճառքի «շրջանառությունից» Կազմակերպչին կվճարի ամսական ռոյալթի` ամբողջ շրջանառության տասը տոկոսի (10%) չափով:
3) Մանրամասն պայմաններն ամրագրված են Ընդհանուր Կարգավորումների 34-րդ հոդվածում նշված N 9 Հատուկ Կարգավորումներում:
Հոդված 9
1) Մասնակիցը կվարի օրական հաշվապահական հաշվառում առևտրային այն գործունեության վերաբերյալ, որի համար Կազմակերպչին վճարվում է տոկոսավճար: Նշված հաշվառումը պետք է լինի հստակ և լիարժեք: Մասնակիցը կթույլատրի Կազմակերպչին ունենալու հասանելիություն` հաշվապահական փաստաթղթերին և իրավունք կտա այն պատճենահանել աուդիտի նպատակով:
2) Մասնակիցը կօգտագործի միայն Կազմակերպչի նախանշած տեսակի հաշվիչ-դրամարկղային մեքենաներ: Կրեդիտ քարտերով կատարվող ամբողջ առևտուրը պետք է գրանցվի հաշվիչ-դրամարկղային մեքենաներում նույն ձևով, ինչպես դա իրականացվում է կանխիկ առևտրի դեպքում:
3) Մասնակիցը համաձայնում է, որ կոմերցիոն նպատակով հատկացվող տարածքը չպետք է գերազանցի իրեն հատկացված ամբողջ տարածքի քսան տոկոսը (20%): Վերոհիշյալի վերաբերյալ մանրամասներն արտացոլված են սույն պայմանագրի անբաժանելի մաս կազմող հավելված N 4-ում:
Հոդված 10
1) Ցուցահանդեսի ավարտին Մասնակիցը կարող է վաճառել ցուցադրվող ապրանքները, ինչպես նաև տաղավարի ձևավորման ժամանակ օգտագործված այլ իրերն ու նյութերը:
2) Այդ վաճառքից ստացված եկամուտը կազմակերպչի կողմից ենթակա չէ հարկման: Սակայն այդ դեպքում մասնակիցը զրկվում է ապրանքների ժամանակավոր ներմուծման կարգավիճակի առավելություններից և ստանձնում մաքսային պարտավորություններ` համաձայն Ընդհանուր Կարգավորումների 34-րդ հոդվածում նշված N 7 Հատուկ Կարգավորումների դրույթների:
Գ լ ու խ 4
ՄԱՍՆԱԿՑԻՆ ՏՐՎԱԾ ԱՌԱՎԵԼՈՒԹՅՈՒՆՆԵՐԸ
Հոդված 11
Առավելությունները, որոնք տրված են մասնակից երկրի գլխավոր հանձնակատարին և այլ պաշտոնական անձանց ամրագրված են N 12 Հատուկ Կարգավորման մեջ:
Հոդված 12
1) Ցուցահանդեսի գլխավոր հանձնակատարը և Կազմակերպիչը ապահովում են Մասնակցի աշխատակազմի անարգել մուտքը/ելքը երկիր և կեցությունը:
2) Կազմակերպիչը կօժանդակի Մասնակցի աշխատակազմին հետևյալ հարցերում`
■ կեցություն,
■ առողջություն և ապահովագրություն:
Հոդված 13
Ցուցահանդեսի գլխավոր հանձնակատարը և Կազմակերպիչը, իշխանության համապատասխան մարմինների հետ միասին համակարգված գործում են ի նպաստ Ցուցահանդեսի հաջող անցկացման, մասնավորապես`
■ հիմնելով հարմարավետ վայրերում գրասենյակներ, որոնք անհրաժեշտ են մաքսային գործողությունների համար,
■ աջակցելով Ցուցահանդեսի Մասնակցի համար անհրաժեշտ ամեն տեսակի ապրանքների և նյութերի ներկրմանը,
■ ապահովելով Կազմակերպչի կողմից հաստատված` գործակալությունների և գործակալների ցանկով, որոնք հատուկ վճարով մաքսային գործողություններում կսատարեն Մասնակցին: Մասնակիցն ազատ է նշված ցանկի գործակալություններից կամ գործակալներից օգտվելու հարցում:
Հոդված 14
1) Կազմակերպիչը պարտավորվում է Մասնակցին տրամադրել ցանկեր, որոնք կներկայացնեն տրանսպորտի, բեռնաթափման և փաթեթավորման ընկերությունները, ապրանքների և իրերի մատակարարների անվանումները, ինչպես նաև ցանկացած տեսակի կապալառու ընկերությունների անվանումները, որոնք հաստատվել են Կազմակերպչի կողմից և ստանձնել են մասնակիցների հետ արդար պայմաններով համագործակցելու պարտականությունը:
2) Մասնակիցը ազատ է Կազմակերպչի կողմից տրամադրված վերոնշված ցուցակներում ընդգրկված ընկերությունների, մատակարարների և կապալառուների ծառայություններից օգտվելու հարցում:
3) Ցուցահանդեսի գլխավոր հանձնակատարը և Կազմակերպիչը պետք է բանակցեն տրանսպորտային ընկերությունների և դրանց կազմակերպությունների հետ` Մասնակցի համար ամենանպաստավոր պայմանները ձեռք բերելու նպատակով:
Հոդված 15
Կազմակերպիչը պետք է Ֆինանսական օժանդակություն տրամադրի մասնակիցներին` Չինաստանի կառավարության կողմից սահմանված պայմաններով: Օժանդակության դրույթները նշված են հավելված N 5-ում, որը կազմում է սույն պայմանագրի անբաժանելի մասը: Ֆինանսական օժանդակության մանրամասները պետք է հետագայում քննարկվեն և համաձանեցվեն Կազմակերպչի և Մասնակցի միջև:
Հոդված 16
1) Մասնակցի և Կազմակերպչի միջև ծագած անհամաձայնության դեպքում, երկու կողմերը պարտավորվում են հաշտեցման գալ ՑՄԲ գրասենյակների միջոցով, եթե անհամաձայնությունը վերաբերում է Կոնվենցիայի մեկնաբանությանը կամ ՑՄԲ կողմից սահմանված կանոններին, կամ գլխավոր հանձնակատարի կոլեգիայի կամ նշված կոլեգիայի ղեկավար կոմիտեի, ինչպես նաև այլ դեպքերում: Երկու կողմերը կարող են նաև օգտվել Ընդհանուր Կարգավորման 10-րդ հոդվածով նախատեսված հաշտեցման մեխանիզմներից:
2) Կազմակերպիչը Մասնակցի պարտքի վճարումը պահանջելու ժամանակ, համաձայն Ընդհանուր Կարգավորման 18-րդ հոդվածի 2-րդ պարբերության, չի կարող առգրավել մասնակից երկրներին պատկանող գույքը, եթե այդ գույքը հանրային գույքի կամ ազգային ժառանգության բնույթ է կրում` ըստ մասնակից երկրների օրենքի:
Գ լ ու խ 5
ՈՒԺԻ ՄԵՋ ՄՏՆԵԼԸ
Հոդված 17
Պայմանագիրն ուժի մեջ կմտնի Կողմերի ստորագրման և այնուհետև Ցուցահանդեսի գլխավոր հանձնակատարի ստորագրման պահից: Եթե պայմանագիրը ստորագրվի տարբեր ժամկետներում, ապա այն ուժի մեջ կմտնի վերջին ստորագրման օրվանից:
Հոդված 18
1) Սույն պայմանագրի դրույթներից բխող կողմերի մտադրությունները և/կամ առաջարկությունները կատարվում են գրավոր:
2) Կողմերի մտադրությունները և/կամ առաջարկությունները կուղարկվեն հետևյալ հասցեներով`
ա) Հայաստանի Հանրապետություն, 375010, Երևան, Մ. Մկրտչյան 5
(մասնակից երկրի գլխավոր հանձնակատարի հասցե)
բ) Չինաստան, Շանհայ 200125, Սաուդ Պուդոնգ ռօուդ N 3588
(Համաշխարհային ցուցահանդեսի կոորդինացման բյուրոյի գլխավոր տնօրենի հասցե)։
3) Վերը նշված հասցեները կարող են փոփոխվել կողմերի գրավոր ներկայացմամբ:
Հաստատելով վերոնշյալը` պայմանագիրը կազմված է երկու օրինակից և կստորագրվի Հայաստանի Հանրապետության գլխավոր հանձնակատար Ներսես Երիցյանի և կազմակերպչի ներկայացուցչի կողմից` յուրաքանչյուր կողմին մեկ օրինակ:
Ստորագրություն`________________________
Անուն` պարոն Ներսես Երիցյան
Մասնակից երկրի գլխավոր հանձնակատար
Ստորագրման օրը` _______________________
Ստորագրություն`________________________
Անուն` պարոն Հոնգ Հաո
Գլխավոր տնօրեն, Շանհայի 2010 թվականի Համաշխարհային ցուցահանդեսի կոորդինացման բյուրո
Ստորագրման օրը` _______________________
Ցուցահանդեսի գլխավոր հանձնակատարը, համաձայն Կոնվենցիայի սկզբունքների, Ընդհանուր և Հատուկ Կարգավորումների դրույթների, Չինաստանի օրենքների և կարգավորումների, երաշխավորում է սույն Պայմանագրի շրջանակներում Կազմակերպչի պարտականությունների իրականացումը:
___________________________________________________________________
Ստորագրություն`________________________
Անուն` պարոն Հուա Ջյուն Դուո
Շանհայ, 2010 թվականի Համաշխարհային ցուցահանդեսի գլխավոր հանձնակատար
Ստորագրման օրը` _______________________
________________________________________________________________
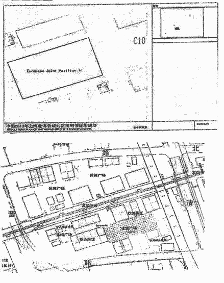
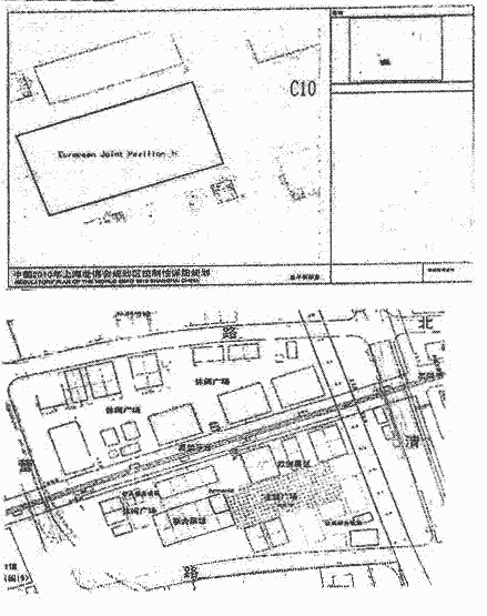
Հավելված 1. Մասնակցին տարածքի տրամադրման հատակագիծը
Հավելված 2. Թեմայի հաստատում
Հավելված 3. Մասնակցության հաստատման ձև Էքսպո Շանհայ Օնլայն-ի համար
Հավելված 4. Կոմերցիոն գործունեություն
Հավելված 5. Ֆինանսական օժանդակության հոդվածներ
Հավելված 1` Մասնակցին տարածքի տրամադրման հատակագիծը
Համաձայն սույն պայմանագրի 2-րդ հոդվածի` Կազմակերպիչը կտրամադրի Մասնակցին 500 քառ. մետր փակ տարածք միացյալ տաղավարում անվճար: Ստորև ներկայացված է Էքսպո 2010-ի ընդհանուր հատակագիծը` մատնանշելով Հայաստանի Հանրապետությանը հատկացված ցուցահանդեսային տարածքը Էքսպո Պարկում:
Հավելված 2` Թեմայի հաստատում
Մասնակցի թեմայի հաստատումը ներկայացվել է Կազմակերպչին 2009 թվականի հունվարի 22-ին, Կազմակերպիչը և Մասնակիցը եկել են համաձայնության հետևյալի վերաբերյալ`
Մասնակից երկրի անունը |
Հայաստանի Հանրապետություն |
Մասնակցության հաստատման ամսաթիվը |
մայիսի 17, 2006թ. |
Ներկայացման օրը |
հունվարի 22, 2009թ. |
Մասնակցության թեման |
Գեոպոլիս (աշխարհի քաղաք) |
Թեմայի հաստատումը |
Ցուցահանդեսի նպատակները EXPO-2010-ում Հայաստանի ցուցասրահը ներկայացնում է աշխարհին հայկական ազգային քաղաքաշինական Մտքի անհերքելի ներդրումը` մարդու կենսական քաղաքակիրթ տարածության ձևավորման մեջ, և քննարկման է ներկայացնում մի առաջարկ` մարդկության պատմության մեջ առաջին անգամ համատեղ ուժերով կառուցել Արարատ լեռան փեշին Գեոպոլիս (Աշխարհի Քաղաք), որի վրա Ժամանակը չի կարող իշխել: Գեոպոլիսը` սինթեզված և իրականացված իրական տարածության մեջ, կդառնա քաղաքակրթությունների փոխգործունեության տարածություն, ազգային մշակութային նվաճումների հուսալի պահապան, Կյանքի նորագույն տեխնոլոգիաների ներդրման բարենպաստ միջավայր, աշխարհի յուրաքանչյուր քաղաքացու համար ապրելու հարմարավետ վայր: Ցուցասրահի հիմնական բաղադրիչները` Ազգային թաղամասերը կազմված կլինեն 5-7 մոդուլային համալիրներից` կատարված յուրաքանչյուր ազգին բնորոշ ճարտարապետական ոճով: Դա` Կյանքի մոդուլն է (հյուրանոցներ, բնակելի շենքեր, տնամերձ շինություններ), Հիշողության մոդուլ (ազգային թանգարաններ, գրադարաններ, ձայնադարաններ), Ժամանցի մոդուլ (խանութներ, սրճարաններ, ազգային խոհանոցի ռեստորաններ), Առողջության մոդուլ (ավանդական առողջության համալիրներ, SPA), Բնության մոդուլ (այգիներ, կենդանաբանական օազիսներ, օվկիանոսարիումներ) և այլն: |
Երկրորդ բաղադրիչը, նույնպես կատարված թեթև թափանցիկ նյութից` «ազգերի կլոր սեղանն է», որը տեղադրված է մակետի շրջագծով և որի վրա շրջանով մեկ տեղադրված են ակտիվ մոնիտորներ` քաղաք վիրտուալ մուտքի համար (նախօրոք ստեղծված վիրտուալ մակետ): Ցուցահանդեսի յուրաքանչյուր այցելու կարող է մտնել քաղաքի (City-Post) կենտրոնական էլ/կայք և թողնել իր ցանկությունը վիրտուալ «Աշխարհի մատյանում», արտահայտել իր կարծիքը քաղաքի այս կամ այն կառույցի մասին, առաջարկել քաղաքապետի թեկնածություն կամ ազգային թաղամաս, նշել դրա կառուցման մեջ իր ուժերին համապատասխան մասնակցության հնարավորությունը, ուղղակի ցուցահանդեսում դառնալ Գեոպոլիսի ապագա քաղաքացի և այլն: Երրորդ բաղադրիչը` դա շրջագծով տեղադրված, հայկական խաչքարերին ոճանմանեցված պատերի սալաքարեր են: Դրանց վրա հատուկ պատրաստված, լուսավորված որմնախորշերում կտեղադրվեն բազմաթիվ հայկական հուշարձանների և ճարտարապետական կառույցների ֆոտոպատկերները` սկսած հին ժամանակներից մինչև մեր օրերը, որոնք գտնվում են ինչպես Հայաստանում, այնպես էլ աշխարհով մեկ: Որոշ որմնախորշեր դատարկ կթողնվեն, որպես չպահպանված մշակութային արժեքների խորհրդանիշ (ընդ որում, միշտ հնարավորություն կլինի ծանոթանալ վերականգնված պատկերին առանձին կատալոգում): Չորրորդ բաղադրիչը` դա կիսաշրջան ճակատային համապատկերի պատն է Արարատ լեռան պատկերով, որի ֆոնի վրա էլ կցուցադրվի Գեոպոլիսի մակետը: Այդ պատի թիկունքային կողմից կարող են տեղադրվել բոլոր անհրաժեշտ տեխնիկական բնակատեղերը: Բացի հիմնական չորս բաղադրիչներից ցուցասրահի կառուցվածքը թույլ է տալիս տարբեր լրացուցիչ ցուցադրափեղկերի, շտենդերների, և գովազդային նյութերի, ֆուրշետային հյուրասիրությունների համար նախատեսված սեղանիկների տեղադրման հնարավորություն: Նախատեսված է լսողական սարքավորման հատուկ սխեմա, |
Հավելված 3` Մասնակցության հաստատման ձև Էքսպո Շանհայ օնլայնի համար
Մասնակցության հաստատման ձև
Էքսպո Շանհայ օնլայն
Բացահայտման տաղավար (Ձև 2)
Մասնակից |
Հայաստանի Հանրապետություն | ||
Պատասխանատու անձ |
Ներսես Երիցյան |
Բաժին |
|
Պաշտոն |
ՀՀ էկոնոմիկայի նախարար |
էլ. փոստ |
nyeritsyan@mineconomy.am |
Հեռախոս |
(010) 526134 |
Ֆաքս |
(010) 526577 |
Հասցե |
Հայաստանի Հանրապետություն, 375010, Երևան, Մ. Մկրտչյան 5 | ||
Մասնակիցը սույնով հաստատում է հետևյալը` 1. Օնլայն տաղավարի նախագծումը և կառուցումը պետք է համապատասխանի Կազմակերպչի կողմից տրամադրվող Շանհայ 2010 Չինաստան Համաշխարհային Ցուցահանդեսի Օնլայն Մասնակիցների Ձեռնարկին և նրա հավելվածներին: 2. Մասնակիցը պետք է ներկայացնի Օնլայն Տաղավարի Ցուցահանդեսի Առաջարկը՝ համապատասխան Կազմակերպչի կողմից տրամադրվող Օնլայն Տաղավարի Ցուցահանդեսի Առաջարկի Ուղեցույցի և այլ փաստաթղթերի: Ներկայացված առաջարկը կդիտարկվի Կազմակերպչի կողմից: 3. Մասնակիցը պարտավոր է պատրաստել օնլայն տաղավարը Կազմակերպչի կողմից սահմանված ժամկետներում Զարգացման և Կառուցման Ձեռնարկին և Կազմակերպչի կողմից սահմանված տեխնիկական ստանդարտների և մանրամասնությունների հիման վրա: Մասնակիցը հոգում է օնլայն տաղավարի հետ կապված բոլոր ծախսերը: Մասնակիցը ինքն է ստանձնում օնլայն տաղավարի պատրաստման աշխատանքները կամ հանձնարարում դրանք Կազմակերպչի կողմից հավատարմագրված ծառայություն մատուցողին: 4. Այն դեպքում, երբ Մասնակիցը անկարող է ապահովել պահանջվող բովանդակային նյութերը Կազմակերպչի կողմից սահմանված վերջնաժամկետից առաջ, Կազմակերպիչը իրավունք ունի նման Մասնակցի համար մշակել ներածական շնորհանդես օնլայն տեղադրելու համար` համաձայն ներկայացված կառուցման և ցուցահանդեսի առաջարկի ֆիզիկական տաղավարի համար և օգտագործելով բովանդակային նյութերը` ներառյալ ֆիզիկական տաղավարի ներքին տեսքը, ցուցանմուշների լուսանկարները և տեսապատկերները: 5. Մասնակիցը ընդունում է մտավոր սեփականության իրավունքների պաշտպանության կարևորությունը Էքսպո Շանհայ Օնլայն ծրագրի համար և համաձայն է Կազմակերպչի կողմից տրամադրվող Մասնակցության Ուղեցույցում նշված մտավոր սեփականության իրավունքների վերաբերյալ կարգավորումների հետ: |
Նշում`
1. Էքսպո Շանհայ Օնլայն ծրագրին վերաբերող մանրամասն տեղեկատվության համար նայեք Շանհայ 2010 Չինաստան Համաշխարհային Ցուցահանդեսի Օնլայն Մասնակիցների Ձեռնարկի վերջին լրամշակումը:
Նամակագրություն`
Bureau of Shanghai World Expo Coordination
Mr. Chen Xuyan; Mr. Chen Xiaobo / Expo Shanghai Online Division
3588 Pudong (S.) Rd., Shanghai, P.R. China Postal Code: 200125
Tel: 0086 21 2206 2010 Fax: 0086 21 2206 0311
Email, info@expo2010.gov.cn
Հավելված 4` Կոմերցիոն գործունեություն
1. Մասնակիցը պետք է համապատասխանի պաշտոնական մասնակցի կոմերցիոն գործունեության համակցված կարգավորումներին` համաձայն Էքսպո 2010-ի Ընդհանուր Կարգավորումների և Հատուկ Կարգավորումներ N 9-ի:
2. Մասնակիցը պետք է ապահովի, որ իր կոմերցիոն գործունեության հետ առնչվող ապրանքների որակը, սննդամթերքի անվտանգությունը և այլն համապատասխանի Չինաստանի օրենքների և կարգավորումների հետ և պետք է վճարի հարկեր իր կոմերցիոն գործունեությունից` համապատասխան Չինաստանի օրենքների և կարգավորումների:
3. Մասնակիցը պետք է շահագործի ռեստորան և վաճառի ապրանքներ իր տաղավարում համաձայն սույն Պայմանագրի Հոդված 7-ի և Հոդված 8-ի: Մասնակիցը պետք է Կազմակերպչին վճարի ռոյալթի:
4. Մասնակիցը պետք է իրականացնի կոմերցիոն գործունեություն Կազմակերպչի կողմից հաստատված տարածքում: Առանց Կազմակերպչի հաստատման, Մասնակիցը չպետք է փոփոխի կոմերցիոն գործունեության տարածքը կամ կոմերցիոն գործունեություն իրականացնի այլ վայրում:
5. Մասնակցի կոմերցիոն և այլ տիպի գործունեությունները, որոնք իրականացվում են յուրաքանչյուր ազգային հատվածում, բացառապես գտնվում են ազգային մասի Գլխավոր Հանձնակատարի իրավասության ներքո: Անկախ նրանից, թե Մասնակիցը հանձնարարում է իր կոմերցիոն գործունեության իրականացումը որևէ երրորդ կողմի` համապատասխան ազգային մասի Գլխավոր Հանձնակատարը պատասխանատվություն է կրում նշված երրորդ կողմի գործողությունների համար: Մասնակիցը պետք է Կազմակերպչին վճարի իրենց կոմերցիոն գործունեությունից գոյացող վերոհիշյալ ռոյալթիներ: Ազգային մասի Գլխավոր Հանձնակատարը կամ նրա լիազորված ներկայացուցիչը պետք է հավաքագրեն և հանձնեն ռոյալթի Կազմակերպչին:
6. Մասնակցի տաղավարի կոմերցիոն գործունեությունը կազմում է Էքսպոյի, որպես ամբողջություն, կոմերցիոն գործունեության մաս, որն ամբողջապես պետք է կառավարվի և կոորդինացվի Կազմակերպչի կողմից:
Հավելված 5` Ֆինանսական օժանդակության հոդվածներ
1. Մասնակիցը համաձայնում է Ցուցահանդեսի ֆինանսական օժանդակությունը ստանալու պայմաններին` համապատասխան Էքսպո 2010 Շանհայ Չինաստան Գրանցման Դիմումի Փաստաթղթերի մաս 9.6-ի: Կազմակերպչի կողմից Մասնակցին տրամադրվող ֆինանսական օժանդակությունը կներառի հետևյալ կետերը.
ա) Ցուցահանդեսի նախագծի մշակման հետ կապված խորհրդատվական ծախսեր,
բ) տաղավարի նախագծման, ձևավորման և ապամոնտաժմանն ուղղված ծախսեր,
գ) տաղավարի շահագործման ծախսեր (մաքրում, անվտանգություն, կոմունալ հարմարություններ և սարքավորումների վարձակալություն),
դ) ծախսեր ցուցանմուշների մաքսազերծման, տրանսպորտի, պահեստավորման և ապահովագրության համար,
ե) ծախսեր Չինաստանում հաղորդակցման և խթանման համար,
զ) կազմակերպման ծախսեր Էքսպոյի հետ առնչվող միջոցառումների համար, ինչպիսիք են օրինակ` Ազգային օրը,
է) մասնակից երկրներից Էքսպոյի միջոցառումներն այցելող որոշ բարձրաստիճան պաշտոնյաների և նրանց ամուսինների ծախսերը,
ը) Էքսպոյի միջոցառումները լուսաբանելու համար մասնակցի լրագրողների ծախսերի մի մասը,
թ) Մասնակցի աշխատակազմի վերապատրաստման ծախսեր` կապված տաղավարի շահագործման հետ,
ժ) Մասնակցի աշխատակազմի կողմից Ցուցահանդեսի նախապատրաստման ծախսեր, ինչպես նաև Էքսպոյի ընթացքում առաջացած նմանատիպ ծախսեր, ներառյալ` տեղական աշխատուժի աշխատավարձը:
Կազմակերպիչը լրացուցիչ կմանրամասնի ֆինանսական օժանդակության վերը նշված կետերը և ժամանակին կտրամադրի Մասնակցին համապատասխան տեղեկատվություն:
2. Մասնակիցը պետք է հանձնի ֆինանսական օժանդակության դիմումի փաստաթղթերը` ի պատասխան Կազմակերպչի պահանջի: Կազմակերպիչը պետք է բանակցի Մասնակցի հետ նշված կետերի, ֆինանսական օժանդակության չափի, վճարման պայմանների և այլ հարակից հարցերի վերաբերյալ: Կազմակերպիչը Մասնակցին կտրամադրի ֆինանսական օժանդակություն` երկու կողմերի ձևակերպած առաջարկի համաձայն:
Հայաստանի Հանրապետության կառավարության աշխատակազմի ղեկավար |
Դ. Սարգսյան |
