ՀԱՅԱՍՏԱՆԻ ՀԱՆՐԱՊԵՏՈՒԹՅԱՆ ԿԱՌԱՎԱՐՈՒԹՅՈՒՆ
Ո Ր Ո Շ ՈՒ Մ
8 սեպտեմբերի 2011 թվականի N 1289-Ն
ՀՈՂԵՐԻ ԿԱՏԵԳՈՐԻԱՆ ՓՈԽԵԼՈՒ ՄԱՍԻՆ
Ղեկավարվելով Հայաստանի Հանրապետության հողային օրենսգրքի 7-րդ հոդվածի պահանջներով` Հայաստանի Հանրապետության կառավարությունը որոշում է.
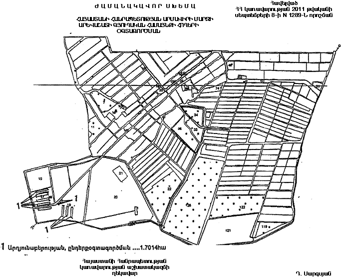
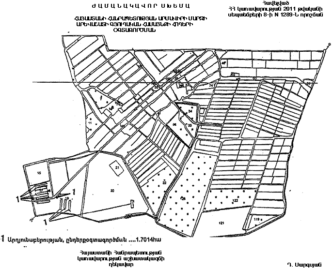
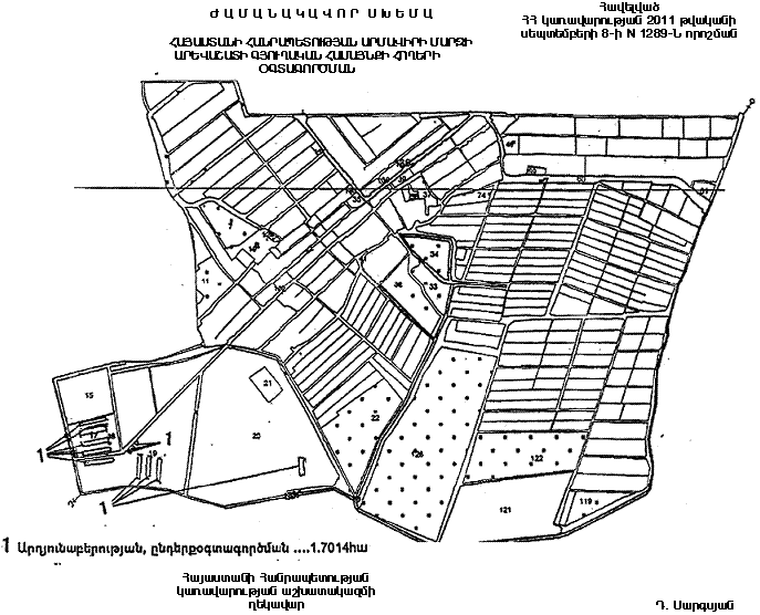
1. Հայաստանի Հանրապետության կառավարության 2004 թվականի մարտի 25-ի N 384-Ն որոշմամբ հաստատված` Հայաստանի Հանրապետության Արմավիրի մարզի Արևաշատի գյուղական համայնքի հողերի օգտագործման ժամանակավոր սխեմայում` համաձայն հավելվածի, իրավաբանական անձի սեփականությունը հանդիսացող գյուղատնտեսական նշանակության այլ հողատեսքերից 1.7014 հեկտարը փոխադրել արդյունաբերության, ընդերքօգտագործման և այլ արտադրական նշանակության օբյեկտների հողերի կատեգորիա` Հայաստանի Հանրապետության օրենսդրությամբ սահմանված կարգով թռչնաֆաբրիկայի կառուցման համար:
2. Առաջարկել Հայաստանի Հանրապետության Արմավիրի մարզի Արևաշատի գյուղական համայնքի ղեկավարին`
1) ապահովել հողամասի նպատակային նշանակության փոփոխման պահին առկա կադաստրային արժեքների տարբերության գանձումը, եթե հողամասի նպատակային նշանակության փոփոխումից հետո դրա կադաստրային արժեքն ավելի բարձր է, քան` մինչև փոփոխումը.
2) սույն կետի 1-ին ենթակետով գանձված ֆինանսական միջոցներն ուղղել համայնքի հողերի գոտևորման և օգտագործման սխեմայի կամ գլխավոր հատակագծի կազմմանը:
3. Հայաստանի Հանրապետության Արմավիրի մարզպետին`
1) իրականացնել հսկողություն սույն որոշման 2-րդ կետի կատարման նկատմամբ.
2) սույն որոշման 1-ին կետում նշված հողամասերը 3 տարվա ընթացքում նպատակային նշանակությամբ չօգտագործելու դեպքում` սահմանված կարգով ներկայացնել սույն որոշումն ուժը կորցրած ճանաչելու վերաբերյալ Հայաստանի Հանրապետության կառավարության որոշման նախագիծ:
4. Սույն որոշումն ուժի մեջ է մտնում պաշտոնական հրապարակմանը հաջորդող օրվանից:
Հայաստանի Հանրապետության |
Տ. Սարգսյան |
|
Ժ Ա Մ Ա Ն Ա Կ Ա Վ Ո Ր Ս Խ Ե Մ Ա
ՀԱՅԱՍՏԱՆԻ ՀԱՆՐԱՊԵՏՈՒԹՅԱՆ ԱՐՄԱՎԻՐԻ ՄԱՐԶԻ ԱՐԵՎԱՇԱՏԻ ԳՅՈՒՂԱԿԱՆ ՀԱՄԱՅՆՔԻ ՀՈՂԵՐԻ ՕԳՏԱԳՈՐԾՄԱՆ
Հայաստանի Հանրապետության կառավարության աշխատակազմի ղեկավար |
Դ. Սարգսյան |
