«Վավերացնում եմ»
Հայաստանի Հանրապետության
Նախագահ Ռ. Քոչարյան
30 օգոստոսի 2005 թ.
ՀԱՅԱՍՏԱՆԻ ՀԱՆՐԱՊԵՏՈՒԹՅԱՆ ԿԱՌԱՎԱՐՈՒԹՅՈՒՆ
Ո Ր Ո Շ ՈՒ Մ
21 հուլիսի 2005 թվականի N 1310-Ն
ՀԱՅԱՍՏԱՆԻ ՀԱՆՐԱՊԵՏՈՒԹՅԱՆ ԱՐՄԱՎԻՐԻ ՄԱՐԶԻ ՄԻ ՇԱՐՔ ԳՅՈՒՂԱԿԱՆ ՀԱՄԱՅՆՔՆԵՐԻ ՎԱՐՉԱԿԱՆ ՍԱՀՄԱՆՆԵՐԻ ՆԿԱՐԱԳԻՐԸ ՀԱՍՏԱՏԵԼՈՒ ՄԱՍԻՆ
«Տեղական ինքնակառավարման մասին» Հայաստանի Հանրապետության օրենքի 6-րդ և «Հայաստանի Հանրապետության վարչատարածքային բաժանման մասին» Հայաստանի Հանրապետության օրենքի 6-րդ հոդվածներին համապատասխան, ինչպես նաև հաշվի առնելով Հայաստանի Հանրապետության մարզերի և համայնքների սահմանների նկարագրման աշխատանքների կարգավորման կառավարական հանձնաժողովի եզրակացությունը` Հայաստանի Հանրապետության կառավարությունը որոշում է.
1. Հաստատել Հայաստանի Հանրապետության Արմավիրի մարզի`
1) Արևադաշտի գյուղական համայնքի վարչական սահմանների նկարագիրը` համաձայն NN 1 և 11 հավելվածների,
2) Արևիկի գյուղական համայնքի վարչական սահմանների նկարագիրը` համաձայն NN 2 և 21 հավելվածների,
3) Արտաշարի գյուղական համայնքի վարչական սահմանների նկարագիրը` համաձայն NN 3 և 31 հավելվածների,
4) Արգավանդի գյուղական համայնքի վարչական սահմանների նկարագիրը` համաձայն NN 4 և 41 հավելվածների,
5) Արմավիրի գյուղական համայնքի վարչական սահմանների նկարագիրը` համաձայն NN 5 և 51 հավելվածների,
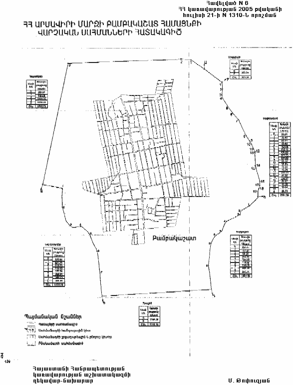
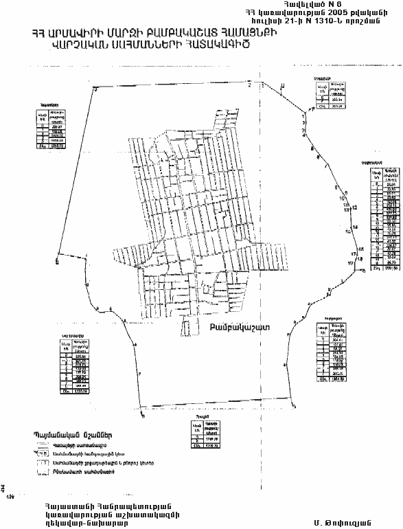
6) Բամբակաշատի գյուղական համայնքի վարչական սահմանների նկարագիրը` համաձայն NN 6 և 61 հավելվածների,
7) Գետաշենի գյուղական համայնքի վարչական սահմանների նկարագիրը` համաձայն NN 7 և 71 հավելվածների,
8) (ենթակետն ուժը կորցրել է 27.05.10 N 681-Ն)
9) Զարթոնքի գյուղական համայնքի վարչական սահմանների նկարագիրը` համաձայն NN 9 և 91 հավելվածների,
10) Լենուղի գյուղական համայնքի վարչական սահմանների նկարագիրը` համաձայն NN 10 և 101 հավելվածների,
11) Խանջյանի գյուղական համայնքի վարչական սահմանների նկարագիրը` համաձայն NN 11 և 111 հավելվածների,
12) Մարգարայի գյուղական համայնքի վարչական սահմանների նկարագիրը` համաձայն NN 12 և 121 հավելվածների,
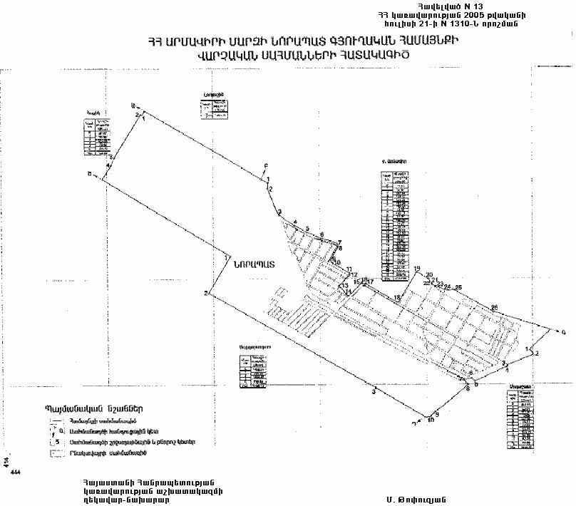
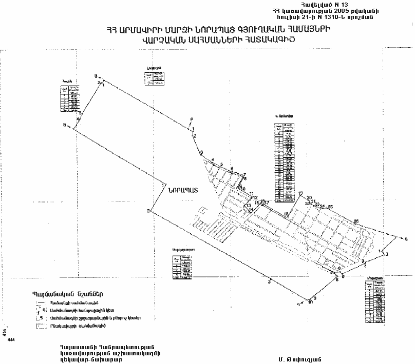
13) Նորապատի գյուղական համայնքի վարչական սահմանների նկարագիրը` համաձայն NN 13 և 131 հավելվածների,
14) Նոր Արմավիրի գյուղական համայնքի վարչական սահմանների նկարագիրը` համաձայն NN 14 և 141 հավելվածների,
15) (ենթակետն ուժը կորցրել է 27.05.10 N 681-Ն)
16) Նոր Արտագեսի գյուղական համայնքի վարչական սահմանների նկարագիրը` համաձայն NN 16 և 161 հավելվածների,
17) Տանձուտի գյուղական համայնքի վարչական սահմանների նկարագիրը` համաձայն NN 17 և 171 հավելվածների,
18) Սարդարապատի գյուղական համայնքի վարչական սահմանների նկարագիրը` համաձայն NN 18 և 181 հավելվածների,
19) (ենթակետն ուժը կորցրել է 27.05.10 N 681-Ն)
(1-ին կետը փոփ. 27.05.10 N 681-Ն)
2. Հայաստանի Հանրապետության կառավարությանն առընթեր անշարժ գույքի կադաստրի պետական կոմիտեի նախագահին` Հայաստանի Հանրապետության պետական գեոդեզիական ցանցի հավասարակշռման արդյունքների հիման վրա հողային ֆոնդի ընթացիկ հաշվառման ժամանակ սույն որոշմամբ սահմանված համայնքների հողային հաշվեկշիռներում սահմանված կարգով կատարել համապատասխան փոփոխություններ:
3. Սույն որոշումն ուժի մեջ է մտնում պաշտոնական հրապարակմանը հաջորդող օրվանից։
|
Ա. Մարգարյան |
|
| |||
| |||
| |||
| |||
| |||
| |||
| |||
| |||
| |||
| |||
| |||
| |||
| |||
| |||
| |||
| |||
| |||
| |||
| |||
| |||
| |||
| |||
| |||
| |||
| |||
| |||
| |||
| |||
| |||
| |||
| |||
| |||
| |||
| |||
| |||
| |||
| |||
| |||
| |||
| |||
| |||
| |||
| |||
| |||
| |||
| |||
| |||
| |||
| |||
| |||
| |||
| |||
| |||
| |||
| |||
| |||
Հայաստանի Հանրապետության կառավարության աշխատակազմի ղեկավար-նախարար |
Մ. Թոփուզյան | ||
| |||
| |||
| |||
ՀԱՅԱՍՏԱՆԻ ՀԱՆՐԱՊԵՏՈՒԹՅԱՆ ԱՐՄԱՎԻՐԻ ՄԱՐԶԻ ՆՈՐ ԿԵՍԱՐԻԱ ՀԱՄԱՅՆՔԻ ՎԱՐՉԱԿԱՆ ՍԱՀՄԱՆՆԵՐԻ ՆԿԱՐԱԳՐՈՒԹՅՈՒՆԸ | |||
| |||
| |||
| |||
| |||
| |||
| |||
| |||
| |||
| |||
| |||
Հայաստանի Հանրապետության կառավարության աշխատակազմի ղեկավար-նախարար |
Մ. Թոփուզյան | ||
| |||
| |||
Հայաստանի Հանրապետության կառավարության աշխատակազմի ղեկավար-նախարար |
Մ. Թոփուզյան | ||
| |||
| |||
| |||
ՀԱՅԱՍՏԱՆԻ ՀԱՆՐԱՊԵՏՈՒԹՅԱՆ ԱՐՄԱՎԻՐԻ ՄԱՐԶԻ ՎԱՐԴԱՆԱՇԵՆ ԳՅՈՒՂԱԿԱՆ ՀԱՄԱՅՆՔԻ ՎԱՐՉԱԿԱՆ ՍԱՀՄԱՆՆԵՐԻ ՆԿԱՐԱԳՐՈՒԹՅՈՒՆԸ | |||
