ՀԱՅԱՍՏԱՆԻ ՀԱՆՐԱՊԵՏՈՒԹՅԱՆ ԿԱՌԱՎԱՐՈՒԹՅՈՒՆ
Ո Ր Ո Շ ՈՒ Մ
1 ապրիլի 2010 թվականի N 357-Ն
ՀԱՅԱՍՏԱՆԻ ՀԱՆՐԱՊԵՏՈՒԹՅԱՆ ԿԱՌԱՎԱՐՈՒԹՅԱՆ 2009 ԹՎԱԿԱՆԻ ՓԵՏՐՎԱՐԻ 19-Ի N 168-Ն ՈՐՈՇՄԱՆ ՄԵՋ ՓՈՓՈԽՈՒԹՅՈՒՆՆԵՐ ԿԱՏԱՐԵԼՈՒ ՄԱՍԻՆ
Ղեկավարվելով «Իրավական ակտերի մասին» Հայաստանի Հանրապետության օրենքի 70-րդ հոդվածի 2-րդ մասով, «Հասարակության և պետության կարիքների համար սեփականության օտարման մասին» Հայաստանի Հանրապետության օրենքի 7-րդ հոդվածի 2-րդ մասով և հիմք ընդունելով Հայաստանի Հանրապետության կառավարության 2009 թվականի փետրվարի 19-ի N 168-Ն որոշման 3-րդ կետի պահանջները և Երևանի քաղաքապետարանի պետական և համայնքային սեփականություն հանդիսացող հողամասերի հրապարակային սակարկությունների (մրցույթների և աճուրդների) կազմակերպման և անցկացման հանձնաժողովի կողմից 2010 թվականի մարտի 1-ին և 2-ին կայացված` գերակա հանրային շահ ճանաչված տարածքներում հասարակության և պետության կարիքների համար օտարվող սեփականությունը ձեռք բերողների մրցույթի արդյունքները` Հայաստանի Հանրապետության կառավարությունը որոշում է.
1. Հայաստանի Հանրապետության կառավարության 2009 թվականի փետրվարի 19-ի «Երևան քաղաքի վարչական սահմաններում գտնվող որոշ տարածքներում բացառիկ` գերակա հանրային շահ ճանաչելու մասին» N 168-Ն որոշման մեջ կատարել հետևյալ փոփոխությունները`
1) 2-րդ կետի 1-ին ենթակետը շարադրել հետևյալ խմբագրությամբ.
«1) uույն որոշման հավելվածի 1, 2, 3 և 5-րդ կետերում նշված տարածքների ձեռք բերող է հանդիuանում Հայաuտանի Հանրապետությունը, որի անունից հանդեu է գալիu Երևանի քաղաքապետը, 4-րդ կետում նշված տարածքի ձեռք բերող է հանդիսանում «Նոր Երևան» սահմանափակ պատասխանատվությամբ ընկերությունը, ինչպես նաև Հայաստանի Հանրապետությունը, որի անունից հանդեu է գալիu Երևանի քաղաքապետը, 6-11-րդ կետերում նշված տարածքների ձեռք բերողներ են հանդիuանում սույն որոշման հավելվածում նշված իրավաբանական անձինք».
2) 2-րդ կետի 5-րդ ենթակետը շարադրել հետևյալ խմբագրությամբ.
«2) նախատեսված օտարման գործառույթների իրականացումը համակարգող մարմինը Երևանի քաղաքապետն է».
3) հավելվածի 4-րդ կետի 4-րդ սյունակում «Հայաստանի Հանրապետություն» բառերը փոխարինել «Հայաստանի Հանրապետություն և «Նոր Երևան» ՍՊԸ ( NN 4 և 4.1 սխեմաները կցվում են) բառերով.
4) հավելվածի 4-րդ սխեման շարադրել նոր խմբագրությամբ` համաձայն N 1 հավելվածի.
5) հավելվածը լրացնել նոր` 4.1-ին սխեմայով` համաձայն N 2 հավելվածի։
2. Լիազորել Երևանի քաղաքապետին`
1) «Նոր Երևան» սահմանափակ պատասխանատվությամբ ընկերության հետ պետության անունից կնքել «Հաuարակության և պետության կարիքների համար սեփականության oտարման մասին» Հայաuտանի Հանրապետության oրենքի 7-րդ հոդվածի 3-րդ մաuով նախատեսված պայմանագիր.
2) սույն որոշումն ուժի մեջ մտնելուց հետո 7-օրյա ժամկետում որոշումը պատշաճ ձևով ուղարկել Հայաստանի Հանրապետության կառավարության 2009 թվականի փետրվարի 19-ի N 168-Ն որոշման հավելվածի 4-րդ կետի N 4 սխեմայում նշված տարածքում օտարվող սեփականության սեփականատերերին և օտարվող սեփականության նկատմամբ պետական գրանցում ունեցող գույքային իրավունքներ ունեցող անձանց:
3. Սույն որոշումն ուժի մեջ է մտնում պաշտոնական հրապարակման օրվան հաջորդող տասներորդ օրը:
Հայաստանի Հանրապետության
վարչապետՏ. Սարգսյան
2010 թ. ապրիլի 14
Երևան
Հավելված N 1 |
«Սխեմա` ՀՀ կառավարության 2009 թ. |
ՍԽԵՄԱ N 4
ԲԱՑԱՌԻԿ ԳԵՐԱԿԱ ՀԱՆՐԱՅԻՆ ՇԱՀ ՃԱՆԱՉՎԱԾ ՔԱՂԱՔԱՇԻՆԱԿԱՆ ԾՐԱԳՐԵՐԻ ԻՐԱԿԱՆԱՑՄԱՆ ՆՊԱՏԱԿՈՎ ՀԱՍԱՐԱԿՈՒԹՅԱՆ ԵՎ ՊԵՏՈՒԹՅԱՆ ԿԱՐԻՔՆԵՐԻ ՀԱՄԱՐ ՎԵՐՑՎՈՂ ՏԱՐԱԾՔԻ
(ՍԱՐՅԱՆ, ԱՐԱՄԻ, ԲՈՒԶԱՆԴԻ ՓՈՂՈՑՆԵՐՈՎ ԵՎ ՄԱՇՏՈՑԻ ՊՈՂՈՏԱՅՈՎ ՊԱՐՓԱԿՎԱԾ ՏԱՐԱԾՔ, ՄՐՑՈՒՅԹԻ ՀԱՂԹՈՂ «ՆՈՐ ԵՐԵՎԱՆ» ՍՊԸ)
Հայաստանի Հանրապետության կառավարության աշխատակազմի ղեկավար |
Դ. Սարգսյան |
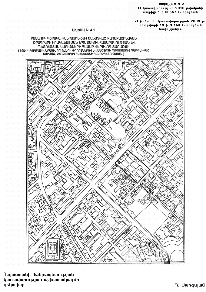
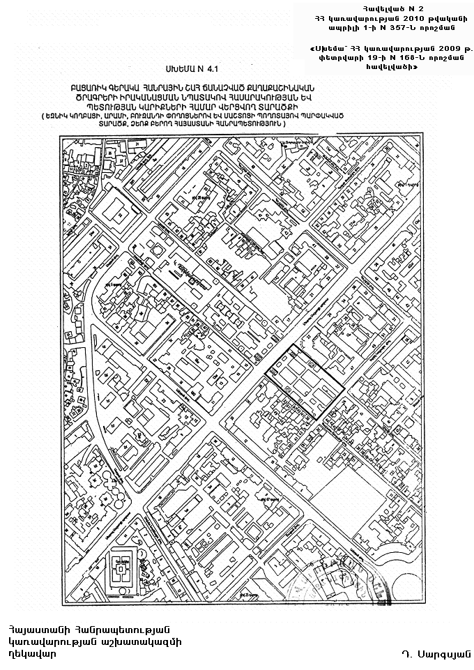
Հավելված N 2 |
«Սխեմա` ՀՀ կառավարության 2009 թ. |
ՍԽԵՄԱ N 4.1
ԲԱՑԱՌԻԿ ԳԵՐԱԿԱ ՀԱՆՐԱՅԻՆ ՇԱՀ ՃԱՆԱՉՎԱԾ ՔԱՂԱՔԱՇԻՆԱԿԱՆ ԾՐԱԳՐԵՐԻ ԻՐԱԿԱՆԱՑՄԱՆ ՆՊԱՏԱԿՈՎ ՀԱՍԱՐԱԿՈՒԹՅԱՆ ԵՎ ՊԵՏՈՒԹՅԱՆ ԿԱՐԻՔՆԵՐԻ ՀԱՄԱՐ ՎԵՐՑՎՈՂ ՏԱՐԱԾՔԻ
(ԵԶՆԻԿ ԿՈՂԲԱՑԻ, ԱՐԱՄԻ, ԲՈՒԶԱՆԴԻ ՓՈՂՈՑՆԵՐՈՎ ԵՎ ՄԱՇՏՈՑԻ ՊՈՂՈՏԱՅՈՎ ՊԱՐՓԱԿՎԱԾ ՏԱՐԱԾՔ, ՁԵՌՔ ԲԵՐՈՂ ՀԱՅԱՍՏԱՆԻ ՀԱՆՐԱՊԵՏՈՒԹՅՈՒՆ)
Հայաստանի Հանրապետության կառավարության աշխատակազմի ղեկավար |
Դ. Սարգսյան |
