ՀԱՅԱՍՏԱՆԻ ՀԱՆՐԱՊԵՏՈՒԹՅԱՆ ԿԱՌԱՎԱՐՈՒԹՅՈՒՆ
Ո Ր Ո Շ ՈՒ Մ
8 հունվարի 2009 թվականի N 84-Ն
ՀՈՂԵՐԻ ԿԱՏԵԳՈՐԻԱՆ ՓՈԽԵԼՈՒ ԵՎ ՈՐՈՇ ՏԱՐԱԾՔՆԵՐՈՒՄ ԲԱՑԱՌԻԿ` ԳԵՐԱԿԱ ՀԱՆՐԱՅԻՆ ՇԱՀ ՃԱՆԱՉԵԼՈՒ ՄԱՍԻՆ
Ղեկավարվելով Հայաստանի Հանրապետության հողային օրենսգրքի 7-րդ հոդվածի 2-րդ կետի, 46-րդ հոդվածի, 75-րդ հոդվածի 1-ին մասի 4-րդ կետի, «Հասարակության և պետության կարիքների համար սեփականության օտարման մասին» Հայաստանի Հանրապետության օրենքի 4-րդ, 7-րդ և 18-րդ հոդվածների դրույթներով և հիմք ընդունելով Հայաստանի Հանրապետության կառավարության 2007 թվականի սեպտեմբերի 27-ի «Իրան-Հայաստան գազամուղի Քաջարան-Արարատ հատվածի ծրագծի մասին» N 1130-Ն որոշման 2-րդ կետի պահանջները` Հայաստանի Հանրապետության կառավարությունը որոշում է.
1. Սույն որոշման 2-րդ կետի 3-րդ և 4-րդ, 6-10-րդ, 18-րդ և 19-րդ, 21-25-րդ, 27-րդ և 28-րդ, 31-րդ, 34-38-րդ ենթակետերում նշված տարածքների` համաձայն N 41 հավելվածի ցուցակի, քաղաքացիների և իրավաբանական անձանց սեփականությունը հանդիսացող 7.1094 հեկտար հողամասերի օտարման նպատակը «Հասարակության և պետության կարիքների համար սեփականության օտարման մասին» Հայաստանի Հանրապետության օրենքով սահմանված կարգով բացառիկ` գերակա հանրային շահ ճանաչելն է` հետևյալ հիմնավորումներով`
1) սույն որոշման 2-րդ կետում նշված ծրագրի իրականացման շահը գերակայում է oտարվող սեփականության սեփականատերերի շահերից, քանի որ ծրագրի իրականացումը նպատակաուղղված է երկրի էներգետիկ անվտանգության մակարդակի բարձրացմանը.
2) սույն որոշմամբ նշված ծրագրի արդյունավետ իրագործումը չի կարող ապահովվել` առանց նշված սեփականության oբյեկտների oտարման, քանի որ հողամասերի վրա կատարվող աշխատանքները հանդիսանում են գազամուղի անբաժան տեխնոլոգիական մասերը:
2. Իրան-Հայաստան գազամուղի Քաջարան-Արարատ հատվածի կառուցման ծրագրի իրականացման նպատակով Հայաստանի Հանրապետության Սյունիքի մարզի վարչական սահմաններում գտնվող` 73.8445 հեկտար, Վայոց ձորի մարզի 45.064 հեկտար և Արարատի մարզի 20.8271 հեկտար` տարբեր նպատակային նշանակության հողերը փոխադրել էներգետիկայի, տրանսպորտի, կապի, կոմունալ ենթակառուցվածքների օբյեկտների հողերի կատեգորիա, այդ թվում`
1) Սյունիքի մարզի Լեռնաձորի գյուղական համայնքի վարչական սահմաններում գտնվող` համայնքի սեփականությունը հանդիսացող գյուղատնտեսական նշանակության հողերից 12.8247 հեկտարը, որից` արոտավայր` 6.6024 հեկտար, և այլ հողեր` 6.2223 հեկտար` համաձայն N 1 հավելվածի.
2) Սյունիքի մարզի Գեղիի գյուղական համայնքի վարչական սահմաններում գտնվող` համայնքի սեփականությունը հանդիսացող գյուղատնտեսական նշանակության հողերից 10.5498 հեկտարը, որից` վարելահող` 0.1548 հեկտար, խոտհարք` 0.3576 հեկտար, արոտավայր` 9.1895 հեկտար և այլ հողեր` 0.8479 հեկտար` համաձայն N 2 հավելվածի.
3) Սյունիքի մարզի Շենաթաղի գյուղական համայնքի վարչական սահմաններում գտնվող հողերից 6.4476 հեկտարը` համաձայն N 3 հավելվածի, այդ թվում`
ա. քաղաքացիների սեփականությունը հանդիսացող վարելահողերից` 0.1215 հեկտար,
բ. համայնքային սեփականություն հանդիսացող գյուղատնտեսական նշանակության վարելահողերից` 2.0481 հեկտար, այլ հողերից` 3.4380 հեկտար,
գ. պետական սեփականություն հանդիսացող անտառային հողերից` 0.8400 հեկտար անտառ.
4) Սյունիքի մարզի Լորի գյուղական համայնքի վարչական սահմաններում գտնվող հողերից` 1.842 հեկտարը` համաձայն N 4 հավելվածի, այդ թվում`
ա. քաղաքացիների սեփականությունը հանդիսացող վարելահողերից` 0.1578 հեկտար,
բ. համայնքային սեփականություն հանդիսացող գյուղատնտեսական նշանակության վարելահողերից` 0.6783 հեկտար, այլ հողերից` 1.0059 հեկտար.
5) Սյունիքի մարզի Գետաթաղի գյուղական համայնքի վարչական սահմաններում գտնվող` համայնքի սեփականությունը հանդիսացող գյուղատնտեսական նշանակության հողերից` 1.2819 հեկտարը, որից` արոտավայր` 0.9927 հեկտար, և այլ հողեր` 0.2892 հեկտար` համաձայն N 5 հավելվածի.
6) Սյունիքի մարզի Դարբասի գյուղական համայնքի վարչական սահմաններում գտնվող հողերից` 4.3457 հեկտարը` համաձայն N 6 հավելվածի, այդ թվում`
ա. քաղաքացիների սեփականությունը հանդիսացող վարելահողերից` 0.1566 հեկտար,
բ. համայնքային սեփականություն հանդիսացող գյուղատնտեսական նշանակության վարելահողերից` 0.0657 հեկտար, արոտավայրերից` 0.4548 հեկտար, և այլ հողերից` 3.6686 հեկտար.
7) Սյունիքի մարզի Որոտանի գյուղական համայնքի վարչական սահմաններում գտնվող հողերից` 0.3699 հեկտարը` համաձայն N 7 հավելվածի, այդ թվում`
ա. քաղաքացիների սեփականությունը հանդիսացող վարելահողերից` 0.0396 հեկտար,
բ. համայնքային սեփականություն հանդիսացող գյուղատնտեսական նշանակության արոտավայրերից` 0.3303 հեկտար.
8) Սյունիքի մարզի Անգեղակոթի գյուղական համայնքի վարչական սահմաններում գտնվող հողերից` 0.8845 հեկտարը` համաձայն N 8 հավելվածի, այդ թվում`
ա. քաղաքացիների սեփականությունը հանդիսացող վարելահողերից` 0.3417 հեկտար,
բ. համայնքային սեփականություն հանդիսացող գյուղատնտեսական նշանակության արոտավայրերից` 0.4204 հեկտար, և այլ հողերից` 0.1224 հեկտար.
9) Սյունիքի մարզի Սպանդարյանի գյուղական համայնքի վարչական սահմաններում գտնվող հողերից` 0.1916 հեկտարը` համաձայն N 9 հավելվածի, այդ թվում`
ա. քաղաքացիների սեփականությունը հանդիսացող վարելահողերից` 0.0173 հեկտար,
բ. համայնքային սեփականություն հանդիսացող գյուղատնտեսական նշանակության այլ հողերից` 0.1743 հեկտար.
10) Սյունիքի մարզի Սառնակունքի գյուղական համայնքի վարչական սահմաններում գտնվող հողերից` 0.7446 հեկտարը` համաձայն N 10 հավելվածի, այդ թվում`
ա. քաղաքացիների սեփականությունը հանդիսացող վարելահողերից` 0.2817 հեկտար,
բ. համայնքային սեփականություն հանդիսացող գյուղատնտեսական նշանակության այլ հողերից` 0.4629 հեկտար.
11) Սյունիքի մարզի Ծղուկի գյուղական համայնքի սեփականությունը հանդիսացող գյուղատնտեսական նշանակության արոտավայրերից` 1.0431 հեկտարը` համաձայն N 11 հավելվածի.
12) Սյունիքի մարզի Գորայքի գյուղական համայնքի սեփականությունը հանդիսացող գյուղատնտեսական նշանակության այլ հողերից` 2.1638 հեկտարը` համաձայն N 12 հավելվածի.
13) Սյունիքի մարզի Փայահանի գյուղական համայնքի սեփականությունը հանդիսացող գյուղատնտեսական նշանակության հողերից` 4.9104 հեկտարը, որից` վարելահող` 0.0720 հեկտար, խոտհարք` 0.6084 հեկտար, արոտավայր` 4.23 հեկտար` համաձայն N 13 հավելվածի.
14) Սյունիքի մարզի Վաղատինի գյուղական համայնքի սեփականությունը հանդիսացող գյուղատնտեսական նշանակության այլ հողերից` 0.008 հեկտար` համաձայն N 14 հավելվածի.
15) Սյունիքի մարզի համայնքների վարչական սահմաններից դուրս գտնվող` Նորավանի գյուղական համայնքին կառավարման լիազորություններով հանձնված, պետական սեփականություն հանդիսացող գյուղատնտեսական նշանակության արոտավայրը` 0.2656 հեկտար` համաձայն N 15 հավելվածի.
16) Սյունիքի մարզի համայնքների վարչական սահմաններից դուրս գտնվող` Շաքիի գյուղական համայնքին կառավարման լիազորություններով հանձնված, պետական սեփականություն հանդիսացող գյուղատնտեսական նշանակության արոտավայրը` 1.3431 հեկտար` համաձայն N 16 հավելվածի.
17) Սյունիքի մարզի համայնքների վարչական սահմաններից դուրս` մարզի վարչական սահմաններում գտնվող` պետական սեփականություն հանդիսացող հողերից` 24.6282 հեկտարը` համաձայն N 17 հավելվածի, որից` գյուղատնտեսական նշանակության արոտավայրեր` 23.8257 հեկտար, և անտառային հողեր` 0.8025 հեկտար անտառ.
18) Վայոց ձորի մարզի Ջերմուկի քաղաքային համայնքի վարչական սահմաններում գտնվող հողերից` 4.8167 հեկտարը` համաձայն N 18 հավելվածի, այդ թվում`
ա. քաղաքացիների սեփականությունը հանդիսացող վարելահողերից` 0.7504 հեկտար,
բ. համայնքային սեփականություն հանդիսացող` գյուղատնտեսական նշանակության արոտավայրերից` 2.8716 հեկտար,
գ. պետական սեփականություն հանդիսացող անտառային հողերից` 1.1947 հեկտար անտառ.
19) Վայոց ձորի մարզի Կարմրաշենի գյուղական համայնքի վարչական սահմաններում գտնվող հողերից` 3.02 հեկտարը` համաձայն N 19 հավելվածի, այդ թվում`
ա. քաղաքացիների սեփականությունը հանդիսացող վարելահողերից` 0.0958 հեկտար,
բ. համայնքային սեփականությունը հանդիսացող` գյուղատնտեսական նշանակության արոտավայրերից` 2.9242 հեկտար.
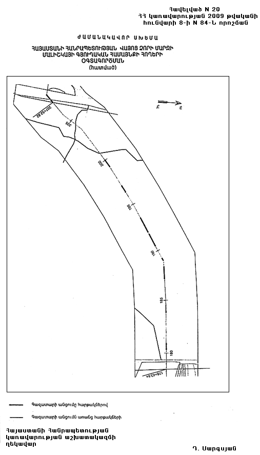
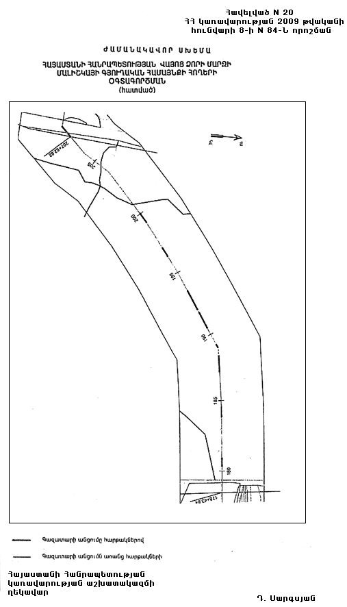
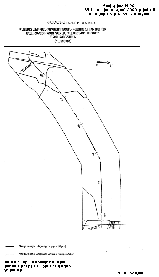
20) Վայոց ձորի մարզի Մալիշկայի գյուղական համայնքի սեփականությունը հանդիսացող` գյուղատնտեսական նշանակության այլ հողերից` 0.8071 հեկտարը` համաձայն N 20 հավելվածի.
21) Վայոց ձորի մարզի Գլաձորի գյուղական համայնքի վարչական սահմաններում գտնվող հողերից` 4.607 հեկտարը` համաձայն N 21 հավելվածի, այդ թվում`
ա. քաղաքացիների սեփականությունը հանդիսացող վարելահողերից` 1.2266 հեկտար,
բ. իրավաբանական անձանց սեփականությունը հանդիսացող` արդյունաբերության, ընդերքօգտագործման և այլ արտադրական նշանակության հողերից` 0.0157 հեկտար,
գ. համայնքային սեփականություն հանդիսացող` գյուղատնտեսական նշանակության այլ հողերից` 3.3647 հեկտար.
22) Վայոց ձորի մարզի Վերնաշենի գյուղական համայնքի վարչական սահմաններում գտնվող հողերից` 7.7222 հեկտարը` համաձայն N 22 հավելվածի, այդ թվում`
ա. քաղաքացիների սեփականությունը հանդիսացող վարելահողերից` 0.0444 հեկտար,
բ. համայնքային սեփականություն հանդիսացող` գյուղատնտեսական նշանակության այլ հողերից` 7.6778 հեկտար.
23) Վայոց ձորի մարզի Գետափի գյուղական համայնքի վարչական սահմաններում գտնվող հողերից` 2.0892 հեկտարը` համաձայն N 23 հավելվածի, այդ թվում`
ա. քաղաքացիների սեփականությունը հանդիսացող վարելահողերից` 0.3402 հեկտար,
բ. համայնքային սեփականություն հանդիսացող` գյուղատնտեսական նշանակության այլ հողերից` 1.749 հեկտար.
24) Վայոց ձորի մարզի Աղավնաձորի գյուղական համայնքի վարչական սահմաններում գտնվող հողերից` 5.0255 հեկտարը` համաձայն N 24 հավելվածի, այդ թվում`
ա. քաղաքացիների սեփականությունը հանդիսացող վարելահողերից` 0.1917 հեկտար,
բ. համայնքային սեփականություն հանդիսացող` գյուղատնտեսական նշանակության այլ հողերից` 4.8338 հեկտար.
25) Վայոց ձորի մարզի Ռինդի գյուղական համայնքի վարչական սահմաններում գտնվող հողերից` 3.5756 հեկտարը` համաձայն N 25 հավելվածի, այդ թվում`
ա. քաղաքացիների սեփականությունը հանդիսացող վարելահողերից` 0.3293 հեկտար,
բ. համայնքային սեփականություն հանդիսացող` գյուղատնտեսական նշանակության այլ հողերից` 3.2463 հեկտար.
26) Վայոց ձորի մարզի Չիվայի գյուղական համայնքի սեփականությունը հանդիսացող` գյուղատնտեսական նշանակության այլ հողերից` 0.9048 հեկտարը` համաձայն N 26 հավելվածի.
27) Վայոց ձորի մարզի Ելփինի գյուղական համայնքի վարչական սահմաններում գտնվող հողերից` 6.1401 հեկտարը` համաձայն N 27 հավելվածի, այդ թվում`
ա. քաղաքացիների սեփականությունը հանդիսացող վարելահողերից` 0.4815 հեկտար,
բ. համայնքային սեփականություն հանդիսացող` գյուղատնտեսական նշանակության այլ հողերից` 5.6586 հեկտար.
28) Վայոց ձորի մարզի համայնքների վարչական սահմաններից դուրս գտնվող` Գլաձորի գյուղական համայնքին կառավարման լիազորություններով հանձնված հողերից` 0.3133 հեկտարը` համաձայն N 28 հավելվածի, այդ թվում`
ա. քաղաքացիների սեփականությունը հանդիսացող վարելահողերից` 0.0847 հեկտար,
բ. պետական սեփականություն հանդիսացող` գյուղատնտեսական նշանակության այլ հողերից` 0.2286 հեկտար.
29) Վայոց ձորի մարզի համայնքների վարչական սահմաններից դուրս գտնվող` Եղեգնաձորի քաղաքային համայնքին կառավարման լիազորություններով հանձնված` պետական սեփականություն հանդիսացող այլ հողերից` 1.9116 հեկտարը` համաձայն N 29 հավելվածի.
30) Վայոց ձորի մարզի համայնքների վարչական սահմաններից դուրս` մարզի վարչական սահմաններում գտնվող` պետական սեփականություն հանդիսացող` գյուղատնտեսական նշանակության հողերից` 4.1309 հեկտարը` համաձայն N 30 հավելվածի, որից` 0.5922 հեկտար խոտհարք և 3.5387 հեկտար
արոտավայր.
31) Արարատի մարզի Զանգակատան գյուղական համայնքի վարչական սահմաններում գտնվող հողերից` 1.6872 հեկտարը` համաձայն N 31 հավելվածի, այդ թվում`
ա. քաղաքացիների սեփականությունը հանդիսացող վարելահողերից` 0.1218 հեկտար,
բ. համայնքային սեփականություն հանդիսացող` գյուղատնտեսական նշանակության այլ հողերից` 1.559 հեկտար.
32) Արարատի մարզի Վարդաշատի գյուղական համայնքի սեփականությունը հանդիսացող` գյուղատնտեսական նշանակության արոտավայրերից` 1.8224 հեկտարը` համաձայն N 32 հավելվածի.
33) Արարատի մարզի Ուրցալանջի գյուղական համայնքի սեփականությունը հանդիսացող` գյուղատնտեսական նշանակության արոտավայրերից` 2.016 հեկտարը` համաձայն N 33 հավելվածի.
34) Արարատի մարզի Լանջառի գյուղական համայնքի վարչական սահմաններում գտնվող հողերից` 1.1174 հեկտարը` համաձայն N 34 հավելվածի, այդ թվում`
ա. քաղաքացիների սեփականությունը հանդիսացող վարելահողերից` 0.0342 հեկտար,
բ. համայնքային սեփականություն հանդիսացող` գյուղատնտեսական նշանակության արոտավայրերից` 1.0832 հեկտար.
35) Արարատի մարզի Լուսաշողի գյուղական համայնքի վարչական սահմաններում գտնվող հողերից` 0.5702 հեկտարը` համաձայն N 35 հավելվածի, այդ թվում`
ա. քաղաքացիների սեփականությունը հանդիսացող վարելահողերից` 0.3036 հեկտար,
բ. համայնքային սեփականություն հանդիսացող` գյուղատնտեսական նշանակության արոտավայրերից` 0.2666 հեկտար.
36) Արարատի մարզի Լանջանիստի գյուղական համայնքի վարչական սահմաններում գտնվող հողերից` 1.845 հեկտարը` համաձայն N 36 հավելվածի, այդ թվում`
ա. քաղաքացիների սեփականությունը հանդիսացող վարելահողերից` 0.6445 հեկտար,
բ. համայնքային սեփականություն հանդիսացող` գյուղատնտեսական նշանակության արոտավայրերից` 1.2005 հեկտար.
37) Արարատի մարզի Շաղափի գյուղական համայնքի վարչական սահմաններում գտնվող հողերից` 5.8906 հեկտարը` համաձայն N 37 հավելվածի, այդ թվում`
ա. քաղաքացիների սեփականությունը հանդիսացող վարելահողերից` 0.5224 հեկտար,
բ. համայնքային սեփականություն հանդիսացող` գյուղատնտեսական նշանակության արոտավայրերից` 5.3682 հեկտար.
38) Արարատի մարզի Գոռավանի գյուղական համայնքի վարչական սահմաններում գտնվող հողերից` 2.2481 հեկտարը` համաձայն N 38 հավելվածի, այդ թվում`
ա. քաղաքացիների սեփականությունը հանդիսացող վարելահողերից` 0.8 հեկտար,
բ. համայնքային սեփականություն հանդիսացող` գյուղատնտեսական նշանակության արոտավայրերից` 1.4481 հեկտար.
39) Արարատի մարզի Ուրցաձորի գյուղական համայնքի սեփականությունը հանդիսացող` գյուղատնտեսական նշանակության արոտավայրերից` 3.4829 հեկտարը` համաձայն N 39 հավելվածի.
40) Արարատի մարզի համայնքների վարչական սահմաններից դուրս` մարզի վարչական սահմաններում գտնվող` պետական սեփականություն հանդիսացող` գյուղատնտեսական նշանակության արոտավայրերից` 0.1473 հեկտարը` համաձայն N 40 հավելվածի:
3. Հայաստանի Հանրապետության Սյունիքի, Վայոց ձորի և Արարատի մարզպետներին`
1) սույն որոշման 2-րդ կետի 3-րդ,15-18-րդ, 28-30-րդ և 40-րդ ենթակետերի համաձայն փոխադրված` պետական սեփականություն հանդիսացող հողերն անհատույց, մշտական օգտագործման իրավունքով տրամադրել «ՀայՌուսգազարդ» փակ բաժնետիրական ընկերությանը.
2) Հայաստանի Հանրապետության Սյունիքի մարզի Լեռնաձորի, Գեղիի, Շենաթաղի, Փայահանի, Վաղատինի, Լորի, Գետաթաղի, Դարբասի, Որոտանի, Անգեղակոթի, Սպանդարյանի, Սառնակունքի, Ծղուկի, Գորայքի գյուղական համայնքների, Վայոց ձորի մարզի Եղեգնաձորի, Ջերմուկի քաղաքային և Կարմրաշենի, Մալիշկայի, Գլաձորի, Վերնաշենի, Գետափի, Աղավնաձորի, Ռինդի, Չիվայի, Ելփինի գյուղական համայնքների, Արարատի մարզի Զանգակատան, Վարդաշատի, Ուրցալանջի, Լանջառի, Լուսաշողի, Լանջանիստի, Շաղափի, Ուրցաձորի և Գոռավանի գյուղական համայնքների ղեկավարների միջոցով ապահովել սույն որոշմամբ նպատակային նշանակությունը փոխված` համայնքային սեփականություն հանդիսացող 97.9362 հեկտար հողերի`վարձակալության իրավունքով տրամադրումը «ՀայՌուսգազարդ» փակ բաժնետիրական ընկերությանը:
4. Գծային ենթակառուցվածքն այլ անձանց սեփականության իրավունքով պատկանող հողամասերով անցնելու այլ դեպքերում սահմանել անվճար, հարկադիր, մշտական սերվիտուտ:
5. Սահմանել, որ`
1) սեփականության օտարման գործառույթների իրականացումը համակարգող պետական մարմինը (այսուհետ` լիազոր մարմին) Հայաստանի Հանրապետության էներգետիկայի և բնական պաշարների նախարարությունն է.
2) սույն որոշման 1-ին կետում նշված տարածքների ձեռք բերող է հանդիսանում «ՀայՌուսգազարդ» փակ բաժնետիրական ընկերությունը.
3) գերակա հանրային շահ ճանաչված տարածքների և դրանցում առկա սեփականության օբյեկտների նկարագրության արձանագրության կազմման գործառույթներն իրականացվում են Հայաստանի Հանրապետության կառավարության 2007 թվականի հունվարի 25-ի N 108-Ն որոշմամբ հաստատված` գերակա հանրային շահ ճանաչված տարածքներում առկա սեփականության օբյեկտների նկարագրության արձանագրության կազմման կարգով և նկարագրության արձանագրության ձևով.
4) սեփականության oտարման գործընթացն սկսելու վերջնաժամկետը սույն որոշումն ուժի մեջ մտնելու օրվան հաջորդող 15-րդ օրն է.
5) սույն կետի 1-ին ենթակետում նշված հողամասերի ձեռք բերողի իրավունքները և պարտականությունները սահմանվում են «Հասարակության և պետության կարիքների համար սեփականության oտարման մասին» Հայաստանի Հանրապետության oրենքի հիման վրա ձեռք բերողի և լիազոր մարմնի միջև կնքված պայմանագրին համապատասխան:
6. Սույն որոշման 1-ին, 3-րդ և 4-րդ կետերի ուժով ծագած իրավունքների պետական գրանցումն իրականացնել «ՀայՌուսգազարդ» փակ բաժնետիրական ընկերության միջոցների հաշվին:
7. Հայաստանի Հանրապետության էներգետիկայի և բնական պաշարների նախարարին` սույն որոշումն ուժի մեջ մտնելուն հաջորդող 7-oրյա ժամկետում ապահովել oտարվող սեփականության սեփականատերերին և oտարվող սեփականության նկատմամբ պետական գրանցում ունեցող գույքային իրավունքներ ունեցող անձանց իրազեկումը:
8. Սույն որոշումն ուժի մեջ է մտնում պաշտոնական հրապարակման օրվան հաջորդող տասներորդ օրը:
Հայաստանի Հանրապետության վարչապետ |
Տ. Սարգսյան |
2009 թ. փետրվարի 4 |
|
Ժ Ա Մ Ա Ն Ա Կ Ա Վ Ո Ր Ս Խ Ե Մ Ա
ՀԱՅԱՍՏԱՆԻ ՀԱՆՐԱՊԵՏՈՒԹՅԱՆ ՍՅՈՒՆԻՔԻ ՄԱՐԶԻ ԼԵՌՆԱՁՈՐԻ ԳՅՈՒՂԱԿԱՆ ՀԱՄԱՅՆՔԻ ՀՈՂԵՐԻ ՕԳՏԱԳՈՐԾՄԱՆ
(գազատարի սպասարկման ճանապարհ)
Հայաստանի Հանրապետության կառավարության աշխատակազմի ղեկավար |
Դ. Սարգսյան |
|
Հավելված N 2 ՀՀ կառավարության 2009 թվականի հունվարի 8-ի N 84-Ն որոշման
|
Ժ Ա Մ Ա Ն Ա Կ Ա Վ Ո Ր Ս Խ Ե Մ Ա
ՀԱՅԱՍՏԱՆԻ ՀԱՆՐԱՊԵՏՈՒԹՅԱՆ ՍՅՈՒՆԻՔԻ ՄԱՐԶԻ ԳԵՂԻԻ ԳՅՈՒՂԱԿԱՆ ՀԱՄԱՅՆՔԻ ՀՈՂԵՐԻ ՕԳՏԱԳՈՐԾՄԱՆ
Հայաստանի Հանրապետության կառավարության աշխատակազմի ղեկավար |
Դ. Սարգսյան |
|
Ժ Ա Մ Ա Ն Ա Կ Ա Վ Ո Ր Ս Խ Ե Մ Ա
ՀԱՅԱՍՏԱՆԻ ՀԱՆՐԱՊԵՏՈՒԹՅԱՆ ՍՅՈՒՆԻՔԻ ՄԱՐԶԻ ՇԵՆԱԹԱՂԻ ԳՅՈՒՂԱԿԱՆ ՀԱՄԱՅՆՔԻ ՀՈՂԵՐԻ ՕԳՏԱԳՈՐԾՄԱՆ
(հատված)
Հայաստանի Հանրապետության կառավարության աշխատակազմի ղեկավար |
Դ. Սարգսյան |
|
Ժ Ա Մ Ա Ն Ա Կ Ա Վ Ո Ր Ս Խ Ե Մ Ա
ՀԱՅԱՍՏԱՆԻ ՀԱՆՐԱՊԵՏՈՒԹՅԱՆ ՍՅՈՒՆԻՔԻ ՄԱՐԶԻ ԼՈՐԻ ԳՅՈՒՂԱԿԱՆ ՀԱՄԱՅՆՔԻ ՀՈՂԵՐԻ ՕԳՏԱԳՈՐԾՄԱՆ
(հատված)
Հայաստանի Հանրապետության կառավարության աշխատակազմի ղեկավար |
Դ. Սարգսյան |
|
Ժ Ա Մ Ա Ն Ա Կ Ա Վ Ո Ր Ս Խ Ե Մ Ա
ՀԱՅԱՍՏԱՆԻ ՀԱՆՐԱՊԵՏՈՒԹՅԱՆ ՍՅՈՒՆԻՔԻ ՄԱՐԶԻ ԳԵՏԱԹԱՂԻ ԳՅՈՒՂԱԿԱՆ ՀԱՄԱՅՆՔԻ ՀՈՂԵՐԻ ՕԳՏԱԳՈՐԾՄԱՆ
(հատված)
Հայաստանի Հանրապետության կառավարության աշխատակազմի ղեկավար |
Դ. Սարգսյան |
|
Ժ Ա Մ Ա Ն Ա Կ Ա Վ Ո Ր Ս Խ Ե Մ Ա
ՀԱՅԱՍՏԱՆԻ ՀԱՆՐԱՊԵՏՈՒԹՅԱՆ ՍՅՈՒՆԻՔԻ ՄԱՐԶԻ ԴԱՐԲԱՍԻ ԳՅՈՒՂԱԿԱՆ ՀԱՄԱՅՆՔԻ ՀՈՂԵՐԻ ՕԳՏԱԳՈՐԾՄԱՆ
(հատված)
Հայաստանի Հանրապետության կառավարության աշխատակազմի ղեկավար |
Դ. Սարգսյան |
|
Ժ Ա Մ Ա Ն Ա Կ Ա Վ Ո Ր Ս Խ Ե Մ Ա
ՀԱՅԱՍՏԱՆԻ ՀԱՆՐԱՊԵՏՈՒԹՅԱՆ ՍՅՈՒՆԻՔԻ ՄԱՐԶԻ ՈՐՈՏԱՆԻ ԳՅՈՒՂԱԿԱՆ ՀԱՄԱՅՆՔԻ ՀՈՂԵՐԻ ՕԳՏԱԳՈՐԾՄԱՆ
(հատված)
Հայաստանի Հանրապետության
կառավարության աշխատակազմի
ղեկավարԴ. Սարգսյան
|
Ժ Ա Մ Ա Ն Ա Կ Ա Վ Ո Ր Ս Խ Ե Մ Ա
ՀԱՅԱՍՏԱՆԻ ՀԱՆՐԱՊԵՏՈՒԹՅԱՆ ՍՅՈՒՆԻՔԻ ՄԱՐԶԻ ԱՆԳԵՂԱԿՈԹԻ ԳՅՈՒՂԱԿԱՆ ՀԱՄԱՅՆՔԻ ՀՈՂԵՐԻ ՕԳՏԱԳՈՐԾՄԱՆ
(հատված)
Հայաստանի Հանրապետության կառավարության աշխատակազմի ղեկավար |
Դ. Սարգսյան |
|
Ժ Ա Մ Ա Ն Ա Կ Ա Վ Ո Ր Ս Խ Ե Մ Ա
ՀԱՅԱՍՏԱՆԻ ՀԱՆՐԱՊԵՏՈՒԹՅԱՆ ՍՅՈՒՆԻՔԻ ՄԱՐԶԻ ՍՊԱՆԴԱՐՅԱՆԻ ԳՅՈՒՂԱԿԱՆ ՀԱՄԱՅՆՔԻ ՀՈՂԵՐԻ ՕԳՏԱԳՈՐԾՄԱՆ
(հատված)
Հայաստանի Հանրապետության կառավարության աշխատակազմի ղեկավար |
Դ. Սարգսյան |
|
Ժ Ա Մ Ա Ն Ա Կ Ա Վ Ո Ր Ս Խ Ե Մ Ա
ՀԱՅԱՍՏԱՆԻ ՀԱՆՐԱՊԵՏՈՒԹՅԱՆ ՍՅՈՒՆԻՔԻ ՄԱՐԶԻ ՍԱՌՆԱԿՈՒՆՔԻ ԳՅՈՒՂԱԿԱՆ ՀԱՄԱՅՆՔԻ ՀՈՂԵՐԻ ՕԳՏԱԳՈՐԾՄԱՆ
(հատված)
Հայաստանի Հանրապետության կառավարության աշխատակազմի ղեկավար |
Դ. Սարգսյան |
|
Ժ Ա Մ Ա Ն Ա Կ Ա Վ Ո Ր Ս Խ Ե Մ Ա
ՀԱՅԱՍՏԱՆԻ ՀԱՆՐԱՊԵՏՈՒԹՅԱՆ ՍՅՈՒՆԻՔԻ ՄԱՐԶԻ ԾՂՈՒԿԻ ԳՅՈՒՂԱԿԱՆ ՀԱՄԱՅՆՔԻ ՀՈՂԵՐԻ ՕԳՏԱԳՈՐԾՄԱՆ
(հատված)
Հայաստանի Հանրապետության կառավարության աշխատակազմի ղեկավար |
Դ. Սարգսյան |
|
Ժ Ա Մ Ա Ն Ա Կ Ա Վ Ո Ր Ս Խ Ե Մ Ա
ՀԱՅԱՍՏԱՆԻ ՀԱՆՐԱՊԵՏՈՒԹՅԱՆ ՍՅՈՒՆԻՔԻ ՄԱՐԶԻ ԳՈՐԱՅՔԻ ԳՅՈՒՂԱԿԱՆ ՀԱՄԱՅՆՔԻ ՀՈՂԵՐԻ ՕԳՏԱԳՈՐԾՄԱՆ
(հատված)
Հայաստանի Հանրապետության կառավարության աշխատակազմի ղեկավար |
Դ. Սարգսյան |
|
Ժ Ա Մ Ա Ն Ա Կ Ա Վ Ո Ր Ս Խ Ե Մ Ա
ՀԱՅԱՍՏԱՆԻ ՀԱՆՐԱՊԵՏՈՒԹՅԱՆ ՍՅՈՒՆԻՔԻ ՄԱՐԶԻ ՓԱՅԱՀԱՆԻ ԳՅՈՒՂԱԿԱՆ ՀԱՄԱՅՆՔԻ ՀՈՂԵՐԻ ՕԳՏԱԳՈՐԾՄԱՆ
(գազատարի սպասարկման ճանապարհ)
Հայաստանի Հանրապետության կառավարության աշխատակազմի ղեկավար |
Դ. Սարգսյան |
|
Ժ Ա Մ Ա Ն Ա Կ Ա Վ Ո Ր Ս Խ Ե Մ Ա
ՀԱՅԱՍՏԱՆԻ ՀԱՆՐԱՊԵՏՈՒԹՅԱՆ ՍՅՈՒՆԻՔԻ ՄԱՐԶԻ ՎԱՂԱՏԻՆԻ ԳՅՈՒՂԱԿԱՆ ՀԱՄԱՅՆՔԻ ՀՈՂԵՐԻ ՕԳՏԱԳՈՐԾՄԱՆ
(հատված)
Հայաստանի Հանրապետության կառավարության աշխատակազմի ղեկավար |
Դ. Սարգսյան |
|
Ժ Ա Մ Ա Ն Ա Կ Ա Վ Ո Ր Ս Խ Ե Մ Ա
ՀԱՅԱՍՏԱՆԻ ՀԱՆՐԱՊԵՏՈՒԹՅԱՆ ՍՅՈՒՆԻՔԻ ՄԱՐԶԻ ՀԱՄԱՅՆՔՆԵՐԻ ՎԱՐՉԱԿԱՆ ՍԱՀՄԱՆՆԵՐԻՑ ԴՈՒՐՍ ԳՏՆՎՈՂ ՆՈՐԱՎԱՆԻ ԳՅՈՒՂԱԿԱՆ ՀԱՄԱՅՆՔԻՆ ԿԱՌԱՎԱՐՄԱՆ ԼԻԱԶՈՐՈՒԹՅՈՒՆՆԵՐՈՎ ՀԱՆՁՆՎԱԾ ՀՈՂԵՐԻ
Հայաստանի Հանրապետության
կառավարության աշխատակազմի
ղեկավարԴ. Սարգսյան
|
Ժ Ա Մ Ա Ն Ա Կ Ա Վ Ո Ր Ս Խ Ե Մ Ա
ՀԱՅԱՍՏԱՆԻ ՀԱՆՐԱՊԵՏՈՒԹՅԱՆ ՍՅՈՒՆԻՔԻ ՄԱՐԶԻ ՀԱՄԱՅՆՔՆԵՐԻ ՎԱՐՉԱԿԱՆ ՍԱՀՄԱՆՆԵՐԻՑ ԴՈՒՐՍ ԳՏՆՎՈՂ ՇԱՔԻԻ ԳՅՈՒՂԱԿԱՆ ՀԱՄԱՅՆՔԻՆ ԿԱՌԱՎԱՐՄԱՆ ԼԻԱԶՈՐՈՒԹՅՈՒՆՆԵՐՈՎ ՀԱՆՁՆՎԱԾ ՀՈՂԵՐԻ
Հայաստանի Հանրապետության կառավարության աշխատակազմի ղեկավար |
Դ. Սարգսյան |
|
Հավելված N 17 ՀՀ կառավարության 2009 թվականի հունվարի 8-ի N 84-Ն որոշման
|
Ժ Ա Մ Ա Ն Ա Կ Ա Վ Ո Ր Ս Խ Ե Մ Ա
ՀԱՅԱՍՏԱՆԻ ՀԱՆՐԱՊԵՏՈՒԹՅԱՆ ՍՅՈՒՆԻՔԻ ՄԱՐԶԻ ՀԱՄԱՅՆՔՆԵՐԻ ՎԱՐՉԱԿԱՆ ՍԱՀՄԱՆՆԵՐԻՑ ԴՈՒՐՍ ՄԱՐԶԻ ՎԱՐՉԱԿԱՆ ՍԱՀՄԱՆՆԵՐՈՒՄ ԳՏՆՎՈՂ ՊԵՏԱԿԱՆ ՍԵՓԱԿԱՆՈՒԹՅՈՒՆ ՀԱՆԴԻՍԱՑՈՂ ՀՈՂԵՐԻ ՕԳՏԱԳՈՐԾՄԱՆ
(հատված)
Հայաստանի Հանրապետության կառավարության աշխատակազմի ղեկավար |
Դ. Սարգսյան |
|
Հավելված N 18 ՀՀ կառավարության 2009 թվականի հունվարի 8-ի N 84-Ն որոշման
|
Ժ Ա Մ Ա Ն Ա Կ Ա Վ Ո Ր Ս Խ Ե Մ Ա
ՀԱՅԱՍՏԱՆԻ ՀԱՆՐԱՊԵՏՈՒԹՅԱՆ ՎԱՅՈՑ ՁՈՐԻ ՄԱՐԶԻ ՋԵՐՄՈՒԿԻ ՔԱՂԱՔԱՅԻՆ ՀԱՄԱՅՆՔԻ ՀՈՂԵՐԻ ՕԳՏԱԳՈՐԾՄԱՆ
(հատված)
Հայաստանի Հանրապետության
կառավարության աշխատակազմի
ղեկավարԴ. Սարգսյան
|
Ժ Ա Մ Ա Ն Ա Կ Ա Վ Ո Ր Ս Խ Ե Մ Ա
ՀԱՅԱՍՏԱՆԻ ՀԱՆՐԱՊԵՏՈՒԹՅԱՆ ՎԱՅՈՑ ՁՈՐԻ ՄԱՐԶԻ ԿԱՐՄՐԱՇԵՆԻ ԳՅՈՒՂԱԿԱՆ ՀԱՄԱՅՆՔԻ ՀՈՂԵՐԻ ՕԳՏԱԳՈՐԾՄԱՆ
(հատված)
Հայաստանի Հանրապետության կառավարության աշխատակազմի ղեկավար |
Դ. Սարգսյան |
|
Ժ Ա Մ Ա Ն Ա Կ Ա Վ Ո Ր Ս Խ Ե Մ Ա
ՀԱՅԱՍՏԱՆԻ ՀԱՆՐԱՊԵՏՈՒԹՅԱՆ ՎԱՅՈՑ ՁՈՐԻ ՄԱՐԶԻ ՄԱԼԻՇԿԱՅԻ ԳՅՈՒՂԱԿԱՆ ՀԱՄԱՅՆՔԻ ՀՈՂԵՐԻ ՕԳՏԱԳՈՐԾՄԱՆ
(հատված)
Հայաստանի Հանրապետության կառավարության աշխատակազմի ղեկավար |
Դ. Սարգսյան |
|
Ժ Ա Մ Ա Ն Ա Կ Ա Վ Ո Ր Ս Խ Ե Մ Ա
ՀԱՅԱՍՏԱՆԻ ՀԱՆՐԱՊԵՏՈՒԹՅԱՆ ՎԱՅՈՑ ՁՈՐԻ ՄԱՐԶԻ ԳԼԱՁՈՐԻ ԳՅՈՒՂԱԿԱՆ ՀԱՄԱՅՆՔԻ ՀՈՂԵՐԻ ՕԳՏԱԳՈՐԾՄԱՆ
(հատված)
Հայաստանի Հանրապետության կառավարության աշխատակազմի ղեկավար |
Դ. Սարգսյան |
|
Ժ Ա Մ Ա Ն Ա Կ Ա Վ Ո Ր Ս Խ Ե Մ Ա
ՀԱՅԱՍՏԱՆԻ ՀԱՆՐԱՊԵՏՈՒԹՅԱՆ ՎԱՅՈՑ ՁՈՐԻ ՄԱՐԶԻ ՎԵՐՆԱՇԵՆԻ ԳՅՈՒՂԱԿԱՆ ՀԱՄԱՅՆՔԻ ՀՈՂԵՐԻ ՕԳՏԱԳՈՐԾՄԱՆ
(հատված)
Հայաստանի Հանրապետության կառավարության աշխատակազմի ղեկավար |
Դ. Սարգսյան |
|
Ժ Ա Մ Ա Ն Ա Կ Ա Վ Ո Ր Ս Խ Ե Մ Ա
ՀԱՅԱՍՏԱՆԻ ՀԱՆՐԱՊԵՏՈՒԹՅԱՆ ՎԱՅՈՑ ՁՈՐԻ ՄԱՐԶԻ ԳԵՏԱՓԻ ԳՅՈՒՂԱԿԱՆ ՀԱՄԱՅՆՔԻ ՀՈՂԵՐԻ ՕԳՏԱԳՈՐԾՄԱՆ
(հատված)
Հայաստանի Հանրապետության կառավարության աշխատակազմի ղեկավար |
Դ. Սարգսյան |
|
Ժ Ա Մ Ա Ն Ա Կ Ա Վ Ո Ր Ս Խ Ե Մ Ա
ՀԱՅԱՍՏԱՆԻ ՀԱՆՐԱՊԵՏՈՒԹՅԱՆ ՎԱՅՈՑ ՁՈՐԻ ՄԱՐԶԻ ԱՂԱՎՆԱՁՈՐԻ ԳՅՈՒՂԱԿԱՆ ՀԱՄԱՅՆՔԻ ՀՈՂԵՐԻ ՕԳՏԱԳՈՐԾՄԱՆ
(հատված)
Հայաստանի Հանրապետության կառավարության աշխատակազմի ղեկավար |
Դ. Սարգսյան |
|
Ժ Ա Մ Ա Ն Ա Կ Ա Վ Ո Ր Ս Խ Ե Մ Ա
ՀԱՅԱՍՏԱՆԻ ՀԱՆՐԱՊԵՏՈՒԹՅԱՆ ՎԱՅՈՑ ՁՈՐԻ ՄԱՐԶԻ ՌԻՆԴԻ ԳՅՈՒՂԱԿԱՆ ՀԱՄԱՅՆՔԻ ՀՈՂԵՐԻ ՕԳՏԱԳՈՐԾՄԱՆ
(հատված)
Հայաստանի Հանրապետության կառավարության աշխատակազմի ղեկավար |
Դ. Սարգսյան |
|
Ժ Ա Մ Ա Ն Ա Կ Ա Վ Ո Ր Ս Խ Ե Մ Ա
ՀԱՅԱՍՏԱՆԻ ՀԱՆՐԱՊԵՏՈՒԹՅԱՆ ՎԱՅՈՑ ՁՈՐԻ ՄԱՐԶԻ ՉԻՎԱՅԻ ԳՅՈՒՂԱԿԱՆ ՀԱՄԱՅՆՔԻ ՀՈՂԵՐԻ ՕԳՏԱԳՈՐԾՄԱՆ
(հատված)
Հայաստանի Հանրապետության կառավարության աշխատակազմի ղեկավար |
Դ. Սարգսյան |
|
Ժ Ա Մ Ա Ն Ա Կ Ա Վ Ո Ր Ս Խ Ե Մ Ա
ՀԱՅԱՍՏԱՆԻ ՀԱՆՐԱՊԵՏՈՒԹՅԱՆ ՎԱՅՈՑ ՁՈՐԻ ՄԱՐԶԻ ԵԼՓԻՆԻ ԳՅՈՒՂԱԿԱՆ ՀԱՄԱՅՆՔԻ ՀՈՂԵՐԻ ՕԳՏԱԳՈՐԾՄԱՆ
(հատված)
Հայաստանի Հանրապետության
կառավարության աշխատակազմի
ղեկավարԴ. Սարգսյան
|
Ժ Ա Մ Ա Ն Ա Կ Ա Վ Ո Ր Ս Խ Ե Մ Ա
ՀԱՅԱՍՏԱՆԻ ՀԱՆՐԱՊԵՏՈՒԹՅԱՆ ՎԱՅՈՑ ՁՈՐԻ ՄԱՐԶԻ ՀԱՄԱՅՆՔՆԵՐԻ ՎԱՐՉԱԿԱՆ ՍԱՀՄԱՆՆԵՐԻՑ ԴՈՒՐՍ ԳՏՆՎՈՂ ԳԼԱՁՈՐԻ ԳՅՈՒՂԱԿԱՆ ՀԱՄԱՅՆՔԻՆ ԿԱՌԱՎԱՐՄԱՆ ԼԻԱԶՈՐՈՒԹՅՈՒՆՆԵՐՈՎ ՀԱՆՁՆՎԱԾ ՀՈՂԵՐԻ ՕԳՏԱԳՈՐԾՄԱՆ
(հատված)
Հայաստանի Հանրապետության կառավարության աշխատակազմի ղեկավար |
Դ. Սարգսյան |
|
Ժ Ա Մ Ա Ն Ա Կ Ա Վ Ո Ր Ս Խ Ե Մ Ա
ՀԱՅԱՍՏԱՆԻ ՀԱՆՐԱՊԵՏՈՒԹՅԱՆ ՎԱՅՈՑ ՁՈՐԻ ՄԱՐԶԻ ՀԱՄԱՅՆՔՆԵՐԻ ՎԱՐՉԱԿԱՆ ՍԱՀՄԱՆՆԵՐԻՑ ԴՈՒՐՍ ԳՏՆՎՈՂ ԵՂԵԳՆԱՁՈՐԻ ՔԱՂԱՔԱՅԻՆ ՀԱՄԱՅՆՔԻՆ ԿԱՌԱՎԱՐՄԱՆ ԼԻԱԶՈՐՈՒԹՅՈՒՆՆԵՐՈՎ ՀԱՆՁՆՎԱԾ ՀՈՂԵՐԻ ՕԳՏԱԳՈՐԾՄԱՆ
(հատված)
Հայաստանի Հանրապետության կառավարության աշխատակազմի ղեկավար |
Դ. Սարգսյան |
|
Հավելված N 30 ՀՀ կառավարության 2009 թվականի հունվարի 8-ի N 84-Ն որոշման
|
Ժ Ա Մ Ա Ն Ա Կ Ա Վ Ո Ր Ս Խ Ե Մ Ա
ՀԱՅԱՍՏԱՆԻ ՀԱՆՐԱՊԵՏՈՒԹՅԱՆ ՎԱՅՈՑ ՁՈՐԻ ՄԱՐԶԻ ՀԱՄԱՅՆՔՆԵՐԻ ՎԱՐՉԱԿԱՆ ՍԱՀՄԱՆՆԵՐԻՑ ԴՈՒՐՍ` ՄԱՐԶԻ ՎԱՐՉԱԿԱՆ ՍԱՀՄԱՆՆԵՐՈՒՄ ԳՏՆՎՈՂ ՊԵՏԱԿԱՆ ՍԵՓԱԿԱՆՈՒԹՅԱՆ ՀՈՂԵՐԻ ՕԳՏԱԳՈՐԾՄԱՆ
(հատված)
Հայաստանի Հանրապետության կառավարության աշխատակազմի ղեկավար |
Դ. Սարգսյան |
|
Ժ Ա Մ Ա Ն Ա Կ Ա Վ Ո Ր Ս Խ Ե Մ Ա
ՀԱՅԱՍՏԱՆԻ ՀԱՆՐԱՊԵՏՈՒԹՅԱՆ ԱՐԱՐԱՏԻ ՄԱՐԶԻ ԶԱՆԳԱԿԱՏԱՆ ԳՅՈՒՂԱԿԱՆ ՀԱՄԱՅՆՔԻ ՀՈՂԵՐԻ ՕԳՏԱԳՈՐԾՄԱՆ
(հատված)
Հայաստանի Հանրապետության կառավարության աշխատակազմի ղեկավար |
Դ. Սարգսյան |
|
Ժ Ա Մ Ա Ն Ա Կ Ա Վ Ո Ր Ս Խ Ե Մ Ա
ՀԱՅԱՍՏԱՆԻ ՀԱՆՐԱՊԵՏՈՒԹՅԱՆ ԱՐԱՐԱՏԻ ՄԱՐԶԻ ՎԱՐԴԱՇԱՏԻ ԳՅՈՒՂԱԿԱՆ ՀԱՄԱՅՆՔԻ ՀՈՂԵՐԻ ՕԳՏԱԳՈՐԾՄԱՆ
(հատված)
Հայաստանի Հանրապետության կառավարության աշխատակազմի ղեկավար |
Դ. Սարգսյան |
|
Ժ Ա Մ Ա Ն Ա Կ Ա Վ Ո Ր Ս Խ Ե Մ Ա
ՀԱՅԱՍՏԱՆԻ ՀԱՆՐԱՊԵՏՈՒԹՅԱՆ ԱՐԱՐԱՏԻ ՄԱՐԶԻ ՈՒՐՑԱԼԱՆՋԻ ԳՅՈՒՂԱԿԱՆ ՀԱՄԱՅՆՔԻ ՀՈՂԵՐԻ ՕԳՏԱԳՈՐԾՄԱՆ
(հատված)
Հայաստանի Հանրապետության կառավարության աշխատակազմի ղեկավար |
Դ. Սարգսյան |
|
Ժ Ա Մ Ա Ն Ա Կ Ա Վ Ո Ր Ս Խ Ե Մ Ա
ՀԱՅԱՍՏԱՆԻ ՀԱՆՐԱՊԵՏՈՒԹՅԱՆ ԱՐԱՐԱՏԻ ՄԱՐԶԻ ԼԱՆՋԱՌԻ ԳՅՈՒՂԱԿԱՆ ՀԱՄԱՅՆՔԻ ՀՈՂԵՐԻ ՕԳՏԱԳՈՐԾՄԱՆ
(հատված)
Հայաստանի Հանրապետության կառավարության աշխատակազմի ղեկավար |
Դ. Սարգսյան |
|
Ժ Ա Մ Ա Ն Ա Կ Ա Վ Ո Ր Ս Խ Ե Մ Ա
ՀԱՅԱՍՏԱՆԻ ՀԱՆՐԱՊԵՏՈՒԹՅԱՆ ԱՐԱՐԱՏԻ ՄԱՐԶԻ ԼՈՒՍԱՇՈՂԻ ԳՅՈՒՂԱԿԱՆ ՀԱՄԱՅՆՔԻ ՀՈՂԵՐԻ ՕԳՏԱԳՈՐԾՄԱՆ
(հատված)
Հայաստանի Հանրապետության
կառավարության աշխատակազմի
ղեկավարԴ. Սարգսյան
|
Ժ Ա Մ Ա Ն Ա Կ Ա Վ Ո Ր Ս Խ Ե Մ Ա
ՀԱՅԱՍՏԱՆԻ ՀԱՆՐԱՊԵՏՈՒԹՅԱՆ ԱՐԱՐԱՏԻ ՄԱՐԶԻ ԼԱՆՋԱՆԻՍՏԻ ԳՅՈՒՂԱԿԱՆ ՀԱՄԱՅՆՔԻ ՀՈՂԵՐԻ ՕԳՏԱԳՈՐԾՄԱՆ
(հատված)
Հայաստանի Հանրապետության կառավարության աշխատակազմի ղեկավար |
Դ. Սարգսյան |
|
Ժ Ա Մ Ա Ն Ա Կ Ա Վ Ո Ր Ս Խ Ե Մ Ա
ՀԱՅԱՍՏԱՆԻ ՀԱՆՐԱՊԵՏՈՒԹՅԱՆ ԱՐԱՐԱՏԻ ՄԱՐԶԻ ՇԱՂԱՓԻ ԳՅՈՒՂԱԿԱՆ ՀԱՄԱՅՆՔԻ ՀՈՂԵՐԻ ՕԳՏԱԳՈՐԾՄԱՆ
(հատված)
Հայաստանի Հանրապետության կառավարության աշխատակազմի ղեկավար |
Դ. Սարգսյան |
|
Ժ Ա Մ Ա Ն Ա Կ Ա Վ Ո Ր Ս Խ Ե Մ Ա
ՀԱՅԱՍՏԱՆԻ ՀԱՆՐԱՊԵՏՈՒԹՅԱՆ ԱՐԱՐԱՏԻ ՄԱՐԶԻ ԳՈՌԱՎԱՆԻ ԳՅՈՒՂԱԿԱՆ ՀԱՄԱՅՆՔԻ ՀՈՂԵՐԻ ՕԳՏԱԳՈՐԾՄԱՆ
(հատված)
Հայաստանի Հանրապետության
կառավարության աշխատակազմի
ղեկավարԴ. Սարգսյան
|
Ժ Ա Մ Ա Ն Ա Կ Ա Վ Ո Ր Ս Խ Ե Մ Ա
ՀԱՅԱՍՏԱՆԻ ՀԱՆՐԱՊԵՏՈՒԹՅԱՆ ԱՐԱՐԱՏԻ ՄԱՐԶԻ ՈՒՐՑԱՁՈՐԻ ԳՅՈՒՂԱԿԱՆ ՀԱՄԱՅՆՔԻ ՀՈՂԵՐԻ ՕԳՏԱԳՈՐԾՄԱՆ
(հատված)
Հայաստանի Հանրապետության կառավարության աշխատակազմի ղեկավար |
Դ. Սարգսյան |
|
Ժ Ա Մ Ա Ն Ա Կ Ա Վ Ո Ր Ս Խ Ե Մ Ա
ՀԱՅԱՍՏԱՆԻ ՀԱՆՐԱՊԵՏՈՒԹՅԱՆ ԱՐԱՐԱՏԻ ՄԱՐԶԻ ՀԱՄԱՅՆՔՆԵՐԻ ՎԱՐՉԱԿԱՆ ՍԱՀՄԱՆՆԵՐԻՑ ԴՈՒՐՍ` ՄԱՐԶԻ ՎԱՐՉԱԿԱՆ ՍԱՀՄԱՆՆԵՐՈՒՄ ԳՏՆՎՈՂ ՊԵՏԱԿԱՆ ՍԵՓԱԿԱՆՈՒԹՅԱՆ ՀՈՂԵՐԻ ՕԳՏԱԳՈՐԾՄԱՆ
(հատված)
Հայաստանի Հանրապետության կառավարության աշխատակազմի ղեկավար |
Դ. Սարգսյան |
|
Հավելված N 41 ՀՀ կառավարության 2009 թվականի հունվարի 8-ի N 84-Ն որոշման |
Ց ու ց ա կ
Քաջարան-Արարատ գազատարի հարթակների տակ գտնվող
օտարման ենթակա հողերի սեփականատերերի
(Սյունիքի մարզ)
Անգեղակոթ համայնքի | |||
1. |
Եսայան Վանդերլեյն |
09-013-233-004 |
0.1020 |
2. |
Նիկողոսյան Միսակ |
09-013-233-005 |
0.1036 |
3. |
Նիկողոսյան Ժիրայր |
09-013-215-047 (028) |
0.1161 |
4. |
Մարտիրոսյան Ռոզա |
09-013-233-006 |
0.02 |
ընդամենը |
0.3417 | ||
Լոր համայնքի | |||
1. |
Առուստամյան Դավիթ |
09-041-101-47 |
0.0271 |
2. |
Հովհաննիսյան Արծրուն |
09-041-116-013 |
0.0268 |
3. |
Մարտիրոսյան Մավրիկ |
09-023-101-014 |
0.0301 |
4. |
Հովսեփյան Սոնյա |
09-041-101-033 |
0.0268 |
5. |
Կարապետյան Գրիշա |
09-041-116-009 |
0.0274 |
6. |
Ավետիսյան Արմենակ |
0-041-101-057 |
0.0196 |
ընդամենը |
0.1578 | ||
Դարբաս համայնքի | |||
1. |
Ալեքսանյան Լավրենտ |
09-031-238-035 |
0.0250 |
2. |
Առուստամյան Անուշիկ |
09-031-221-019 |
0.0340 |
3. |
Ստեփանյան Բորիս |
09-031-216-017 |
0.0252 |
4. |
Առաքելյան Գարեգին |
09-031-216-015 |
0.0264 |
5. |
Եղիազարյան Մերուժան |
09-031-216-018 |
0.0460 |
ընդամենը |
0.1566 | ||
Որոտան համայնքի | |||
1. |
Տեր-Ավանեսով Պավլիկ |
09-078-103-004 |
0.0196 |
2. |
Դանիելյան Ալյոշա |
09-078-110-167 |
0.0200 |
ընդամենը |
0.0396 | ||
Սպանդարյան համայնքի | |||
1. |
Իսկանդարյան Դեզդեմոնա |
09-084-109-036 |
0.0099 |
2. |
Սիմոնյան Ռաֆիկ |
09-084-111-036 |
0.0074 |
ընդամենը |
0.0173 | ||
Սառնակունք համայնքի | |||
1. |
Վարդանյան Գեղեցիկ |
09-081-115-002 |
0.0460 |
2. |
Միրզոյան Արմիկ |
09-081-115-011 |
0.0484 |
3. |
Մկրտչյան Կարեն |
09-081-115-005 |
0.0465 |
4. |
Մկրտչյան Մանուչար |
09-081-105-037 |
0.0482 |
5. |
Թորոսյան Ավագ |
09-081-115-021 |
0.0490 |
6. |
Մուրադյան Լուսիկ |
09-081-115-006 |
0.0436 |
ընդամենը |
0.2817 | ||
Շենաթաղ համայնքի | |||
1. |
Դանիելյան Մարինե |
09-071-155-007 |
0.0600 |
2. |
Բաբայան Համբարձում |
09-071-154-011 |
0.0615 |
ընդամենը |
0.1215 | ||
Ընդամենը |
1.1162 |
Ց ու ց ա կ
Քաջարան-Արարատ գազատարի հարթակների տակ գտնվող
օտարման ենթակա հողերի սեփականատերերի
(Վայոց ձորի մարզ)
Ջերմուկ համայնքի | |||
1. |
Թադևոսյան Գալուստ |
575-002 |
0.7504 |
ընդամենը |
0.7504 | ||
Կարմրաշեն համայնքի | |||
1. |
Ղամբարյան Հրանտ |
122-010 |
0.0958 |
ընդամենը |
0.0958 | ||
Գլաձոր համայնքի | |||
1. |
Ղազարյան Ռոզա |
152-019 |
0.0134 |
2. |
Թադևոսյան Սարգիս |
152-020 |
0.0133 |
3. |
Հարությունյան Ռաֆիկ |
152-021 |
0.0134 |
4. |
Զաքարյան Օնիկ |
152-013 |
0.0152 |
5. |
Մկրտչյան Մանվել |
152-014 |
0.054 |
6. |
Մկրտչյան Ռիտա |
152-015 |
0.0153 |
7. |
Ասատրյան Ալբերտ |
152-056 |
0.0158 |
8. |
«Ռաֆէլգրիգ» ՍՊԸ |
152-057 |
0.0157 |
9. |
Գասպարյան Օլբիկ |
165-052 |
0.16 |
10. |
Ստեփանյան Արթուր |
165-048 |
0.0912 |
11. |
Մարգարյան Սուրիկ |
165-050 |
0.083 |
12. |
Մարգարյան Սիրակ |
165-045 |
0.169 |
13. |
Սայադյան Վարազդատ |
165-055 |
0.171 |
14. |
Ստեփանյան Էդիկ |
165-047 |
0.172 |
15. |
Գասպարյան Աշոտ |
165-051 |
0.24 |
ընդամենը |
1.2423 | ||
Վերնաշեն համայնքի | |||
1. |
Իսահակյան Ալվարդ |
203-017 |
0.0444 |
ընդամենը |
0.0444 | ||
Գետափ համայնքի | |||
1. |
Խաչատրյան Բագրատ |
162-009 |
0.0346 |
2. |
Հովսեփյան Զարմիկ |
162-010 |
0.0344 |
3. |
Գևորգյան Մուրադ |
163-003 |
0.0342 |
4. |
Խաչատրյան Օլիբեկ |
162-003 |
0.237 |
ընդամենը |
0.3402 | ||
Աղավնաձոր համայնքի | |||
1. |
Հակոբյան Շողեր |
216-044 |
0.1437 |
2. |
Օհանյան Շուշիկ |
216-045 |
0.0480 |
ընդամենը |
0.1917 | ||
Ռինդ համայնքի | |||
1. |
Ղուկասյան Կոլյա |
104-046 |
0.0613 |
2. |
Խաչատրյան Փափազ |
104-050 |
0.0811 |
3. |
Գալստյան Լուսիկ |
104-051 |
0.0808 |
4. |
Հարությունյան Լուսիկ |
104-045 |
0.1061 |
ընդամենը |
0.3293 | ||
Ելփին համայնքի | |||
1. |
Հարությունյան Վարդանուշ |
117-043 |
0.0481 |
2. |
Թովմասյան Եղիշ |
117-046 |
0.0384 |
3. |
Բաբայան Էդիկ |
117-014 |
0.0300 |
4. |
Հարությունյան Լուսիկ |
107-013 |
0.0177 |
5. |
Աղախանյան Թորոս |
103-002 |
0.0378 |
6. |
Հարությունյան Անդրանիկ |
107-003 |
0.0179 |
7. |
Ներսիսյան Ֆրունզե |
109-027 |
0.1236 |
8. |
Քոչարյան Արթուր |
109-090 |
0.1680 |
ընդամենը |
0.4815 | ||
Գլաձոր համայնքի II հատված | |||
1. |
Հակոբյան Վոլոդյա |
305-018 |
0.0423 |
2. |
Մանասերյան Գեղամ |
305-019 |
0.0424 |
ընդամենը |
0.0847 | ||
ընդամենը |
3.5603 |
Ց ու ց ա կ
Քաջարան-Արարատ գազատարի հարթակների տակ գտնվող
օտարման ենթակա հողերի սեփականատերերի
(Արարատի մարզ)
Զանգակատուն համայնքի 1. Թևոսյան Գաբրիել 106-085 0.1282 ընդամենը 0.1282 Լանջառ համայնքի 1. Հախվերդյան Արմեն 106-005 0.0200 2. Սարգսյան Սլավիկ 105-006 0.0142 ընդամենը 0.0342 Լուսաշող համայնքի 1. Հովհաննիսյան Մաքսիմ 151-005 0.0481 2. Հովհաննիսյան Խաչատուր 151-001 0.0335 3. Սարգսյան Ներսես 147-001 0.0486 4. Վարդանյան Վալերիկ 147-002 0.0456 5. Վարդանյան Վարուժան 144-003 0.0128 6. Ոսկանյան Հենրիկ 144-002 0.0134 7. Վարդանյան Գարուշ 144-004 0.0382 8. Վարդանյան Գոհար 144-005 0.0634 ընդամենը 0.3036 Լանջանիստ համայնքի 1. Ղևոնդյան Ավագ 120-004 0.1027 2. Ղևոնդյան Նազիկ 120-005 0.0904 3. Ղևոնդյան Ավագ 120-010 0.1165 4. Դավթյան Արմինե 120-012 0.0605 5. Գևորգյան Աշոտ 120-013 0.1351 6. Պողոսյան Հակոբ 120-015 0.0624 7. Հայրապետյան Արմենուհի 120-016 0.0769 ընդամենը 0.6445 Շաղափ համայնքի 1. Սողոյան Հակոբ 116-032 0.0736 2. Սողոյան Ռազմիկ 116-033 0.0247 3. Գևորգյան Սիրվարդ 116-052 0.1657 4. Սողոյան Ռազմիկ 116-006 0.0430 5. Գրիգորյան Նինա 150-008 0.0954 6. Շախնազարյան Վազգեն 150-036 0.0109 7. Ավետիսյան Նորիկ 150-041 0.0822 8. Ղազարյան Ժենյա 150-043 0.0269 9. Օզմանյան Իշխան 114-3 0.26 10. Օզմանյան Թոռնիկ 114-4 0.54 ընդամենը 1.3224 Ընդամենը 2.4329
Հայաստանի Հանրապետության կառավարության աշխատակազմի ղեկավար |
Դ. Սարգսյան |
