«Վավերացնում եմ»
Հայաստանի Հանրապետության
Նախագահ Ռ. Քոչարյան
25 ապրիլի 2006 թ.
ՀԱՅԱՍՏԱՆԻ ՀԱՆՐԱՊԵՏՈՒԹՅԱՆ ԿԱՌԱՎԱՐՈՒԹՅՈՒՆ
Ո Ր Ո Շ ՈՒ Մ
13 ապրիլի 2006 թվականի N 495-Ն
ՀՈՂԵՐԻ ԿԱՏԵԳՈՐԻԱՆ ՓՈԽԵԼՈՒ ՄԱՍԻՆ
Հայաստանի Հանրապետության կառավարությունը որոշում է.
1. Հայաստանի Հանրապետության կառավարության 2004 թվականի մարտի 4-ի N 263-Ն որոշմամբ հաստատված` Հայաստանի Հանրապետության Տավուշի մարզի Գոշի գյուղական համայնքի հողերի օգտագործման ժամանակավոր սխեմայում` համաձայն NN 1, 2 և 3 հավելվածների, գյուղատնտեսական նշանակության 0.76 հեկտար այլ հողերը փոխադրել էներգետիկայի, կապի, տրանսպորտի և կոմունալ ենթակառուցվածքների օբյեկտների հողերի կատեգորիա` հիդրոէլեկտրակայանի և օժանդակ կառույցների շինարարության համար:
2. Գծային ենթակառուցվածքն այլ անձանց սեփականության իրավունքով պատկանող հողամասերով անցնելու դեպքում սահմանել սերվիտուտի իրավունք, ապահովել գետի էկոլոգիական թողքի չափը և ձկնապաշտպան կառույցների համար անհրաժեշտ սպասարկման գոտին:
Հայաստանի Հանրապետության |
Ա. Մարգարյան |
|
Հավելված N 1 |
Ժ Ա Մ Ա Ն Ա Կ Ա Վ Ո Ր Ս Խ Ե Մ Ա
ՀՀ ՏԱՎՈՒՇԻ ՄԱՐԶԻ ԳՈՇԻ ԳՅՈՒՂԱԿԱՆ ՀԱՄԱՅՆՔԻ ՀՈՂԵՐԻ ՕԳՏԱԳՈՐԾՄԱՆ
Հայաստանի Հանրապետության
կառավարության աշխատակազմի
ղեկավար-նախարարՄ. Թոփուզյան
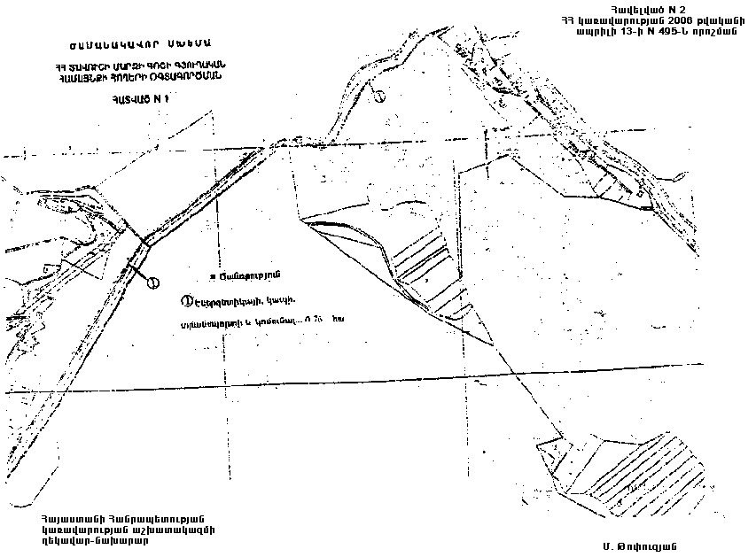
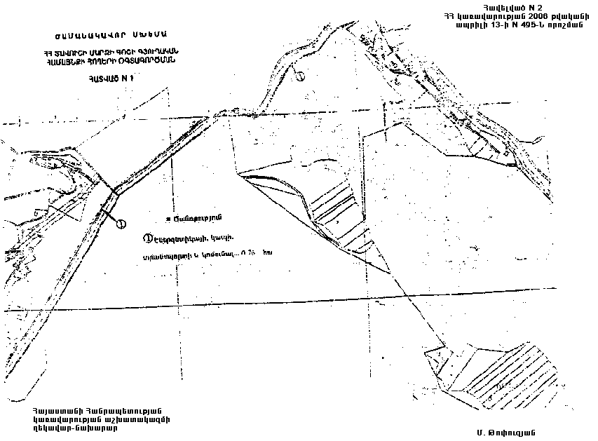
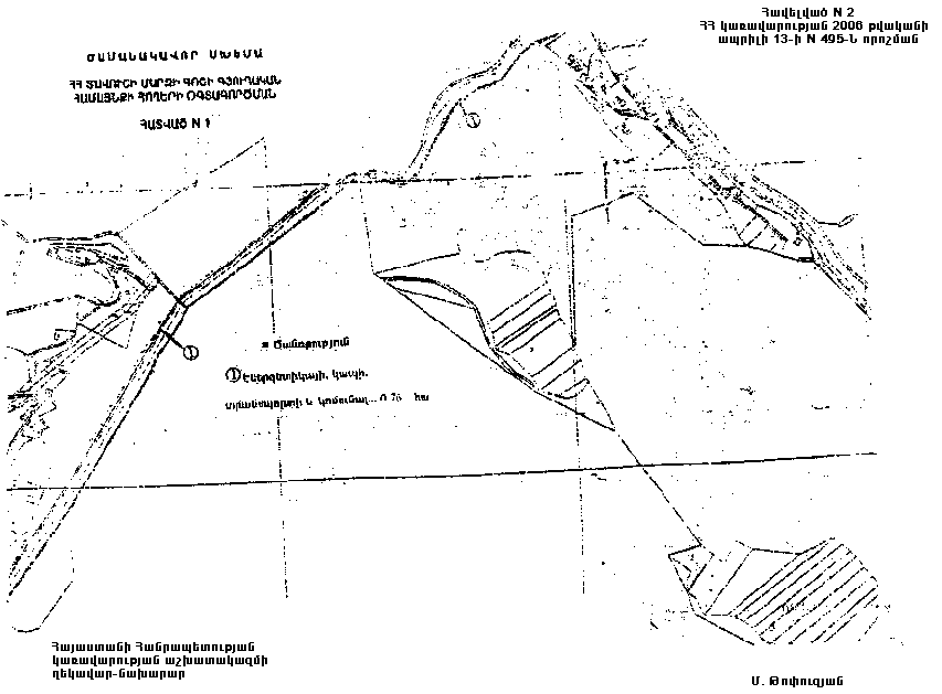
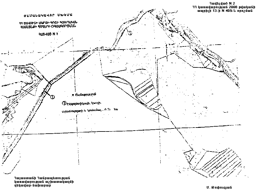
Հավելված N 2 |
Ժ Ա Մ Ա Ն Ա Կ Ա Վ Ո Ր Ս Խ Ե Մ Ա
ՀՀ ՏԱՎՈՒՇԻ ՄԱՐԶԻ ԳՈՇԻ ԳՅՈՒՂԱԿԱՆ ՀԱՄԱՅՆՔԻ ՀՈՂԵՐԻ ՕԳՏԱԳՈՐԾՄԱՆ
ՀԱՏՎԱԾ N 1
Հայաստանի Հանրապետության կառավարության աշխատակազմի ղեկավար-նախարար |
Մ. Թոփուզյան |
Հավելված N 3 |
Ժ Ա Մ Ա Ն Ա Կ Ա Վ Ո Ր Ս Խ Ե Մ Ա
ՀՀ ՏԱՎՈՒՇԻ ՄԱՐԶԻ ԳՈՇԻ ԳՅՈՒՂԱԿԱՆ ՀԱՄԱՅՆՔԻ ՀՈՂԵՐԻ ՕԳՏԱԳՈՐԾՄԱՆ
ՀԱՏՎԱԾ N 2
Հայաստանի Հանրապետության կառավարության աշխատակազմի ղեկավար-նախարար |
Մ. Թոփուզյան |
