«Վավերացնում եմ»
Հայաստանի Հանրապետության
Նախագահ Ռ. Քոչարյան
25 հոկտեմբերի 2005 թ.
ՀԱՅԱՍՏԱՆԻ ՀԱՆՐԱՊԵՏՈՒԹՅԱՆ ԿԱՌԱՎԱՐՈՒԹՅՈՒՆ
Ո Ր Ո Շ ՈՒ Մ
28 սեպտեմբերի 2005 թվականի N 1673-Ն
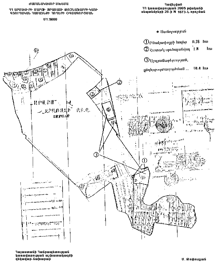
ՀԱՅԱՍՏԱՆԻ ՀԱՆՐԱՊԵՏՈՒԹՅԱՆ ԱՐՄԱՎԻՐԻ ՄԱՐԶԻ ՋՐԱՌԱՏԻ ԹՌՉՆԱՖԱԲՐԻԿԱՅԻ ԳՅՈՒՂԱԿԱՆ ՀԱՄԱՅՆՔԻ ՀՈՂԵՐԻ ՕԳՏԱԳՈՐԾՄԱՆ ԺԱՄԱՆԱԿԱՎՈՐ ՍԽԵՄԱՆ ՀԱՍՏԱՏԵԼՈՒ ՄԱՍԻՆ
Հայաստանի Հանրապետության կառավարությունը որոշում է.
Հաստատել Հայաստանի Հանրապետության Արմավիրի մարզի Ջրառատի թռչնաֆաբրիկայի գյուղական համայնքի հողերի օգտագործման ժամանակավոր սխեման՝ համաձայն հավելվածի, և համայնքի վարչական տարածքում գտնվող՝ պետական սեփականություն հանդիսացող 53.7 հեկտար պահուստային ֆոնդի հողերից փոխադրել՝
ա) 41.12 հեկտարը, որից` 30.2 հեկտար վարելահող, 10.92 հեկտար այլ հողեր՝ գյուղատնտեսական նշանակության հողերի կատեգորիա` աճուրդով օտարելու համար.
բ) 0.38 հեկտար այլ հողեր` բնակավայրերի հողերի կատեգորիա` հասարակական կառուցապատման համար.
գ) 10.4 հեկտար այլ հողեր՝ արդյունաբերության, ընդերքօգտագործման և այլ արտադրական նշանակության օբյեկտների հողերի կատեգորիա.
դ) 1.8 հեկտար այլ հողեր` հատուկ պահպանվող տարածքների հողերի կատեգորիա` գերեզմանատան համար:
|
|
Ա. Մարգարյան |
|
|
|
|
Ժ Ա Մ Ա Ն Ա Կ Ա Վ Ո Ր Ս Խ Ե Մ Ա
ՀԱՅԱՍՏԱՆԻ ՀԱՆՐԱՊԵՏՈՒԹՅԱՆ ԱՐՄԱՎԻՐԻ ՄԱՐԶԻ ՋՐԱՌԱՏԻ ԹՌՉՆԱՖԱԲՐԻԿԱՅԻ ԳՅՈՒՂԱԿԱՆ ՀԱՄԱՅՆՔԻ ՀՈՂԵՐԻ ՕԳՏԱԳՈՐԾՄԱՆ
Հայաստանի Հանրապետության կառավարության աշխատակազմի ղեկավար-նախարար |
Մ. Թոփուզյան |