ՀԱՅԱՍՏԱՆԻ ՀԱՆՐԱՊԵՏՈՒԹՅԱՆ ԿԱՌԱՎԱՐՈՒԹՅՈՒՆ
Ո Ր Ո Շ ՈՒ Մ
6 նոյեմբերի 2014 թվականի N 1244-Ն
ՀՅՈՒՍԻՍ-ՀԱՐԱՎ ՃԱՆԱՊԱՐՀԱՅԻՆ ՄԻՋԱՆՑՔԻ ՆԵՐԴՐՈՒՄԱՅԻՆ ԾՐԱԳՐԻ ՏՐԱՆՇ 3-Ի ՇՐՋԱՆԱԿՆԵՐՈՒՄ ՈՐՈՇ ՏԱՐԱԾՔՆԵՐԻ ՆԿԱՏՄԱՄԲ ԲԱՑԱՌԻԿ` ԳԵՐԱԿԱ ՀԱՆՐԱՅԻՆ ՇԱՀ ՃԱՆԱՉԵԼՈՒ ՄԱՍԻՆ
Ղեկավարվելով «Հանրության գերակա շահերի ապահովման նպատակով սեփականության օտարման մասին» Հայաստանի Հանրապետության օրենքի 4-րդ, 5-րդ, 6-րդ, 7-րդ և 18-րդ հոդվածներով և հիմք ընդունելով Հայաստանի Հանրապետության ու Ասիական զարգացման բանկի միջև 2009 թվականի սեպտեմբերի 15-ին ստորագրված՝ Շրջանակային ֆինանսավորման համաձայնագրի (Հյուսիս-հարավ ճանապարհային միջանցքի ներդրումային ծրագիր), Հայաստանի Հանրապետության և Ասիական զարգացման բանկի միջև 2014 թվականի մարտի 11-ին ստորագրված «Հյուսիս-հարավ ճանապարհային միջանցքի ներդրումային ծրագիր-ծրագիր 3 (ընդհանուր գործողություններ)» վարկային համաձայնագրի, Հայաստանի Հանրապետության և Եվրոպական ներդրումային բանկի միջև 2013 թվականի նոյեմբերի 18-ին ստորագրված «Հայաստանի «Հյուսիս-հարավ ճանապարհային միջանցք» ֆինանսական պայմանագրի և Հյուսիս-հարավ ճանապարհային միջանցքի ներդրումային ծրագրի պահանջները (այսուհետ` ծրագիր)` Հայաստանի Հանրապետության կառավարությունը որոշում է.
(նախաբանը փոփ. 18.08.22 N 1302-Ն)
1. Իրականացվող ճանապարհաշինարարական ծրագրերի համար սույն որոշման N 1 հավելվածում նշված տարածքների օտարվող մասերի նկատմամբ, որոնք սահմանված են սույն որոշման N 2 հավելվածով (այսուհետ՝ օտարվող սեփականություն), ճանաչել բացառիկ` գերակա հանրային շահ` հետևյալ հիմնավորումներով`
1) նշված ծրագրի իրականացման շահը գերակայում է օտարվող սեփականության սեփականատերերի շահերից, քանի որ ծրագրի իրականացման արդյունքում կստեղծվեն արդյունավետ ենթատարածաշրջանային տարանցիկ ճանապարհներ, կմեծանան առևտրի շրջանառությունն ու մրցակցությունը, կնվազեն փոխադրումների ծախսերը, կմեծանա շուկաների, աշխատատեղերի և սոցիալական ծառայությունների հասանելիությունը, կզարգանա ենթատարածաշրջանային ու պետական տրանսպորտային ցանցը.
2) ծրագրի արդյունավետ իրականացումը չի կարող ապահովվել առանց սույն որոշման շրջանակներում օտարվող սեփականության օտարման, քանի որ դրանք գտնվում են ծրագրով նախատեսված` կառուցվող ճանապարհի ծրագծի գոտում և անհնար է ապահովել ծրագրով նախատեսված ճանապարհի կառուցումն ու ճանապարհի համար կենսական նշանակություն ունեցող մյուս պայմանները` առանց դրանց օտարման.
3) օտարվող սեփականության նկատմամբ ճանաչված բացառիկ` գերակա հանրային շահը չհիմնավորված վնաս չի պատճառում սույն որոշման N 1 հավելվածում նշված տարածքների սեփականատերերին:
2. Հաստատել`
1) բացառիկ՝ գերակա հանրային շահ ճանաչված տարածքների ցանկը՝ Թալին-Լանջիկ, Լանջիկ-Գյումրի ճանապարհահատվածների համար՝ համաձայն N 1 հավելվածի.
2) բացառիկ` գերակա հանրային շահ ճանաչված տարածքների օտարման գոտին՝ Թալին-Լանջիկ, Լանջիկ-Գյումրի ճանապարհահատվածների համար` համաձայն N 2 հավելվածի.
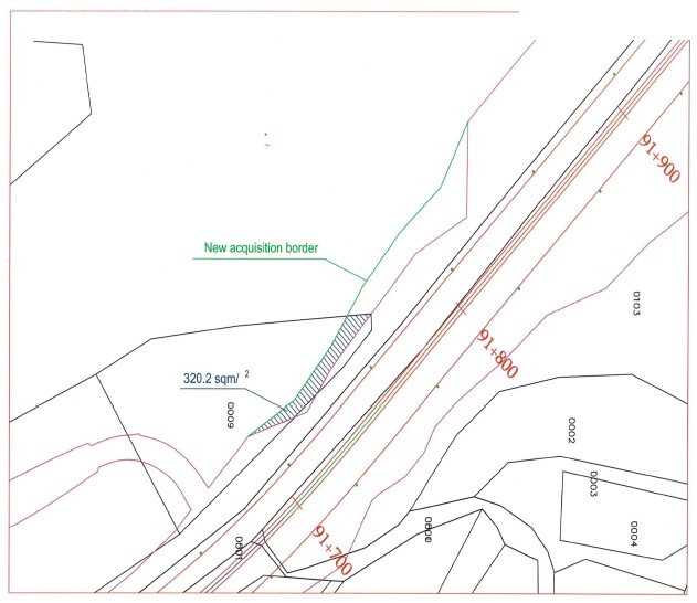
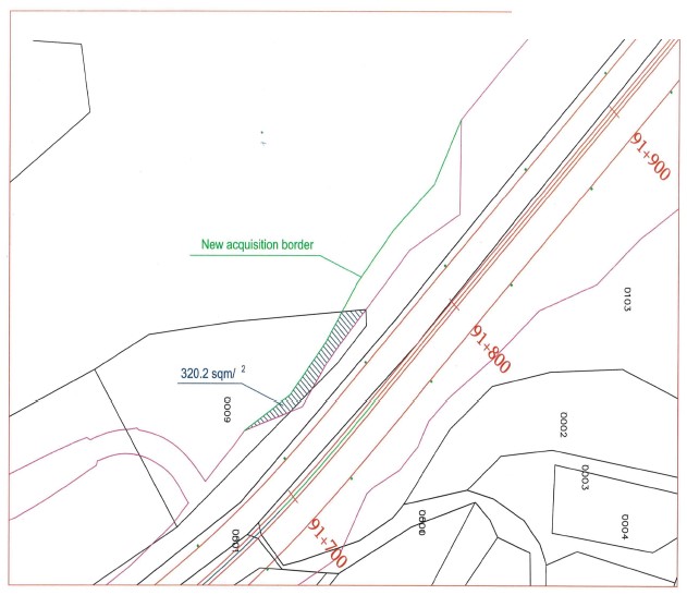
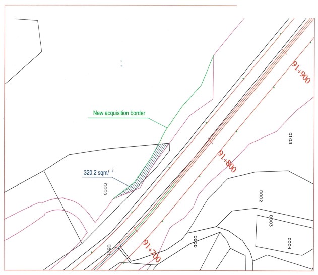
3) Լանջիկ-Գյումրի ճանապարհահատվածի կմ 91+800, կմ 100+800 – կմ 101+475, կմ110+100 – կմ111+675, կմ 111+990-կմ112+000, կմ 113+010-կմ113+040 հատվածների համար հանրության գերակա շահ ճանաչված տարածքների օտարման գոտին՝ համաձայն N 3 հավելվածի:
(2-րդ կետը լրաց. 18.08.22 N 1302-Ն)
3. Սահմանել, որ`
1) բացառիկ` գերակա հանրային շահ ճանաչված տարածքների ձեռք բերող է Հայաստանի Հանրապետությունը, որի անունից հանդես է գալիս «Ճանապարհային դեպարտամենտ» հիմնադրամ.
2) սեփականության օտարման գործընթացն սկսելու վերջնաժամկետը 2017 թվականի դեկտեմբերի 31-ն է.
2.1) սույն որոշման N 1 հավելվածի 375.1-375.8-րդ, 531.4-րդ, 671․8-րդ, 883.10-883.85-րդ, 1020-1021-րդ կետերում նշված հողամասերի մասով սեփականության oտարման գործընթացն սկսելու վերջնաժամկետը 2023 թվականի ապրիլի 30-ն է.
3) սեփականության օտարման գործառույթների իրականացումը համակարգող և պատասխանատու պետական լիազոր մարմինը Հայաստանի Հանրապետության տարածքային կառավարման և ենթակառուցվածքների նախարարությունն է.
4) սեփականության օտարման գործընթացն իրականացվում է «Հանրության գերակա շահերի ապահովման նպատակով սեփականության օտարման մասին», «Պատմության և մշակույթի անշարժ հուշարձանների ու պատմական միջավայրի պահպանության և օգտագործման մասին» Հայաստանի Հանրապետության օրենքների, Հայաստանի Հանրապետության կառավարության 2002 թվականի ապրիլի 20-ի N 438 որոշման և Հայաստանի Հանրապետության կառավարության 2010 թվականի սեպտեմբերի 16-ի N 1274-Ն որոշման պահանջներին համապատասխան.
5) բացառիկ` գերակա հանրային շահ ճանաչված տարածքների և դրանցում առկա սեփականության օբյեկտների նկարագրության արձանագրության կազմման աշխատանքներն իրականացվում են Հայաստանի Հանրապետության կառավարության 2010 թվականի սեպտեմբերի 16-ի N 1275-Ն որոշմամբ սահմանված կարգով և որոշմամբ հաստատված սեփականության օբյեկտների նկարագրության արձանագրության օրինակելի ձևով:
(3-րդ կետը փոփ. 10.09.15 N 1034-Ն, 18.11.16 N 1167-Ն, փոփ., լրաց. 18.08.22 N 1302-Ն)
4. Հայաստանի Հանրապետության տրանսպորտի և կապի նախարարին` մինչև սույն որոշման 3-րդ կետի 2-րդ ենթակետում նշված ժամկետի ավարտը Հայաստանի Հանրապետության կառավարության հաստատմանը ներկայացնել Թալին-Լանջիկ և Լանջիկ-Գյումրի ճանապարհահատվածների հողերի օտարման և տարաբնակեցման ծրագրերը:
5. «Հյուսիս-հարավ ճանապարհային միջանցքի ներդրումային ծրագրի իրականացման կազմակերպություն» պետական ոչ առևտրային կազմակերպության գլխավոր գործադիր տնօրենին` սույն որոշումն ուժի մեջ մտնելուն հաջորդող 7 օրվա ընթացքում սույն որոշումը պատշաճ ձևով ուղարկել օտարվող սեփականության սեփականատերերին և օտարվող սեփականության նկատմամբ պետական գրանցում ունեցող գույքային իրավունքներ ունեցող անձանց:
6. Սույն որոշումն ուժի մեջ է մտնում պաշտոնական հրապարակման օրվան հաջորդող տասներորդ օրը:
Հայաստանի Հանրապետության |
Հ. Աբրահամյան |
|
(հավելվածը խմբ., փոփ., լրաց. 10.09.15 N 1034-Ն, լրաց. 18.11.16 N 1167-Ն, 18.08.22 N 1302-Ն)
Հավելված N 2 ՀՀ կառավարության 2014 թվականի նոյեմբերի 6-ի N 1244-Ն որոշման |
ՕՏԱՐՄԱՆ ԳՈՏԻ
բացառիկ` գերակա հանրային շահ ճանաչված տարածքների
Թալին-Լանջիկ ճանապարհահատված (կմ 71+500 –կմ 90+200)
Լանջիկ-Գյումրի ճանապարհահատված (կմ 90+200 – կմ 117+670)
(հավելվածը խմբ. 10.09.15 N 1034-Ն)
Հավելված N 3 ՀՀ կառավարության 2014 թվականի նոյեմբերի 6-ի N 1244-Ն որոշման |
ՕՏԱՐՄԱՆ ԳՈՏԻ
Լանջիկ-Գյումրի ճանապարհահատվածի կմ 91+800, կմ 100+800 – կմ 101+475, կմ 110+100 – կմ 111+675, կմ 111+990- կմ 112+000, կմ113+010- կմ113+040 հատվածների համար հանրության գերակա շահ ճանաչված տարածքների
(հավելվածը լրաց. 18.08.22 N 1302-Ն)
Հայաստանի Հանրապետության կառավարության աշխատակազմի ղեկավար-նախարար |
Դ. Հարությունյան |
