«Վավերացնում եմ»
Հայաստանի Հանրապետության
Նախագահ Ռ. Քոչարյան
15 հունվարի 2005 թ.
ՀԱՅԱՍՏԱՆԻ ՀԱՆՐԱՊԵՏՈՒԹՅԱՆ ԿԱՌԱՎԱՐՈՒԹՅՈՒՆ
Ո Ր Ո Շ ՈՒ Մ
30 դեկտեմբերի 2004 թվականի N 1870-Ն
ՀԱՅԱՍՏԱՆԻ ՀԱՆՐԱՊԵՏՈՒԹՅԱՆ ԼՈՌՈՒ ՄԱՐԶԻ ՄԵԴՈՎԿԱՅԻ ԳՅՈՒՂԱԿԱՆ ՀԱՄԱՅՆՔԻ ԲՆԱԿԻՉՆԵՐԻ ՍԵՓԱԿԱՆՈՒԹՅՈՒՆԸ ՀԱՆԴԻՍԱՑՈՂ ՀՈՂԱՄԱՍԵՐԸ ՊԵՏՈՒԹՅԱՆ ԿԱՐԻՔՆԵՐԻ ՀԱՄԱՐ ՀԵՏ ՎԵՐՑՆԵԼՈՒ ՄԱՍԻՆ
Հայաստանի Հանրապետության քաղաքացիական օրենսգրքի 218-րդ և Հայաստանի Հանրապետության հողային օրենսգրքի 104-րդ հոդվածներին համապատասխան` Հայաստանի Հանրապետության կառավարությունը որոշում է.
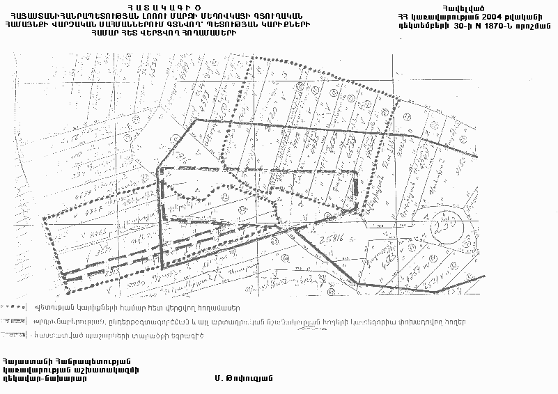
1. Հաստատել Հայաստանի Հանրապետության Լոռու մարզի Մեդովկայի գյուղական համայնքի վարչական սահմաններում գտնվող` տուֆաավազաքարերի հանքավայրի շահագործման նպատակով պետության կարիքների համար հետ վերցվող` 12 քաղաքացու սեփականությունը հանդիսացող 6.85 հեկտար հողամասերը` որպես օտարման գոտի` համաձայն հավելվածի:
2. Հայաստանի Հանրապետության Լոռու մարզպետին՝
ա) մեկամսյա ժամկետում Հայաստանի Հանրապետության քաղաքացիական օրենսգրքի 218-րդ և Հայաստանի Հանրապետության հողային օրենսգրքի 104-րդ հոդվածներին համապատասխան` սույն որոշման 1-ին կետում նշված օտարման գոտում գտնվող հողամասերի սեփականատերերին սահմանված կարգով տեղեկացնել նշված հողամասերը պետության կարիքների համար օտարման գոտի հայտարարելու և նրանց հողամասերը հետ վերցնելու մասին ու ապահովել օտարման գոտու և դրա նկատմամբ իրավունքների սահմանափակումների պետական գրանցումը Հայաստանի Հանրապետության կառավարությանն առընթեր անշարժ գույքի կադաստրի պետական կոմիտեի համապատասխան տարածքային ստորաբաժանումում.
բ) պետության կարիքների համար հետ վերցվող հողամասերի գների հատուցման վերաբերյալ սեփականատերերի հետ համաձայնություն ձեռք բերելուց հետո համապատասխան տեղեկատվությունը տրամադրել Հայաստանի Հանրապետության ֆինանսների և էկոնոմիկայի նախարարությանը:
3. Հայաստանի Հանրապետության ֆինանսների և էկոնոմիկայի նախարարին` Հայաստանի Հանրապետության Լոռու մարզպետից տեղեկատվությունն ստանալուց հետո մեկամսյա ժամկետում Հայաստանի Հանրապետության կառավարություն ներկայացնել պետության կարիքների համար հետ վերցվող հողամասերի գների հատուցման ֆինանսավորման աղբյուրների վերաբերյալ առաջարկություն:
4. Սահմանել, որ սույն որոշման 1-ին կետին համապատասխան՝ պետության կարիքների համար հետ վերցվող, ինչպես նաև հանքարդյունահանման համար անհրաժեշտ 2.4 հեկտար գյուղատնտեսական նշանակության հողամասերն ընդգրկվում են արդյունաբերության, ընդերքօգտագործման և այլ արտադրական նշանակության օբյեկտների հողերի կատեգորիայում, որից 0.2 հեկտարը` մոտեցնող ճանապարհի համար:
5. Սույն որոշումից բխող` պետական գրանցում պահանջող ձևակերպումները ֆինանսավորվում են Հայաստանի Հանրապետության պետական բյուջեի միջոցների հաշվին:
Հայաստանի Հանրապետության |
Ա. Մարգարյան |
2005 թ. հունվարի 11 |
Հավելված
| |
Հ Ա Տ Ա Կ Ա Գ Ի Ծ | |
Հայաստանի Հանրապետության |
Մ. Թոփուզյան |
